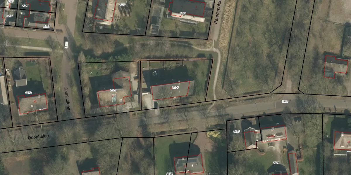
Perceel: GMT00-O-2074
KadastraleKaart.com kan meer dan je denktOntdek meer ›
Filter op bestemming 50+ datasets Eigendomsdata in één klik Percelen CRM
1.009 m2 - 131 m
Eigenaar opvragen
GMT00-O-2074 (Gemert)
- 5421 ZP
HrZ3QuMBn1cr9oDHqFMKUpgrade naar KadastraleKaart Pro
Verkoopprijs opvragen
Bekijk op Street View
Download DWG/DXF/Excel
UNk HU3XZU fuRUpgrade naar KadastraleKaart Pro
I GfWC8bb0jEupxwwrmm1Upgrade naar KadastraleKaart Pro
ouODEfc 2i9 JL HUpgrade naar KadastraleKaart Pro
4 gYAwpYzvmaH du3ZmMUpgrade naar KadastraleKaart Pro
1B br6U cn Upgrade naar KadastraleKaart Pro
RCaLxBM9 fogShNgwvUpgrade naar KadastraleKaart Pro
cAlidQ tgiJUpgrade naar KadastraleKaart Pro
Q9ZLAY4KnEe8Upgrade naar KadastraleKaart Pro
DhmFxTWAgUpgrade naar KadastraleKaart Pro
FM53FLp54 H2cUpgrade naar KadastraleKaart Pro
03/05/2010

Percelen
Gebruik de zoekbalk of klik op een perceel om informatie over het perceel te bekijken.