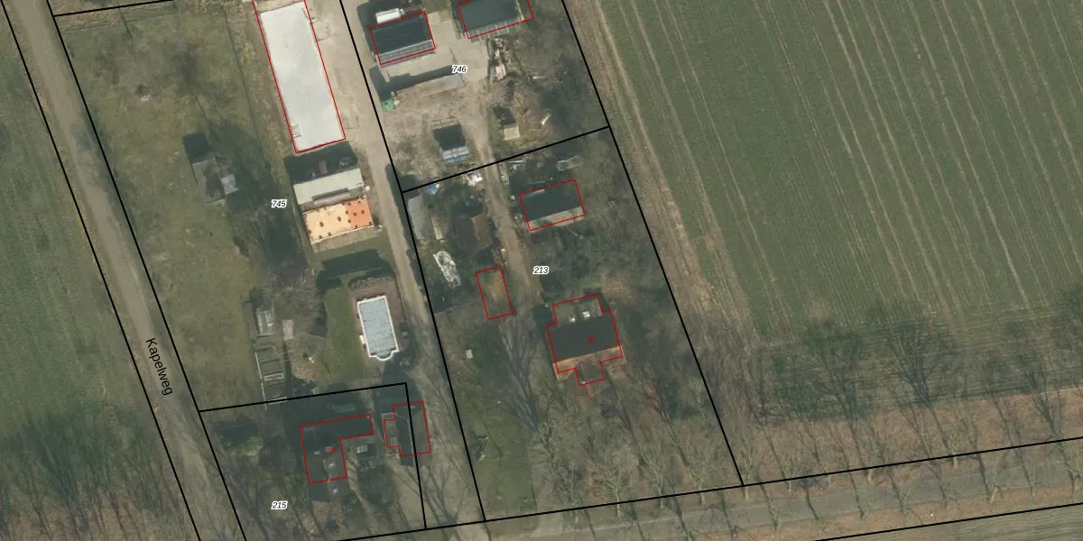
Perceel: GMT00-P-213
KadastraleKaart.com kan meer dan je denktOntdek meer ›
Filter op bestemming 50+ datasets Eigendomsdata in één klik Percelen CRM
2.930 m2 - 222 m
Eigenaar opvragen
GMT00-P-213 (Gemert)
- 5423 VR
v kLKcnnwUO vtZEMUpgrade naar KadastraleKaart Pro
Bekijk op Street View
Download DWG/DXF/Excel
KBHBZ oKUgOiZZvVqn7Upgrade naar KadastraleKaart Pro
Hnv6vS Upgrade naar KadastraleKaart Pro
aFFLhc79kb4Y5PnWyQ7hjEUpgrade naar KadastraleKaart Pro
AYPnWgbEkKUpgrade naar KadastraleKaart Pro
LW 6GLf1Upgrade naar KadastraleKaart Pro
9E3Z4 UzWd4ZL W3 rq2mBUpgrade naar KadastraleKaart Pro
62DFOgBVM zGyQ SqiQxQUpgrade naar KadastraleKaart Pro
0IZABD4kQhgb13WUpgrade naar KadastraleKaart Pro
uhmzhn0lpfDUpgrade naar KadastraleKaart Pro
mhJY qXom zPL BUpgrade naar KadastraleKaart Pro
07/03/2007

Percelen
Gebruik de zoekbalk of klik op een perceel om informatie over het perceel te bekijken.