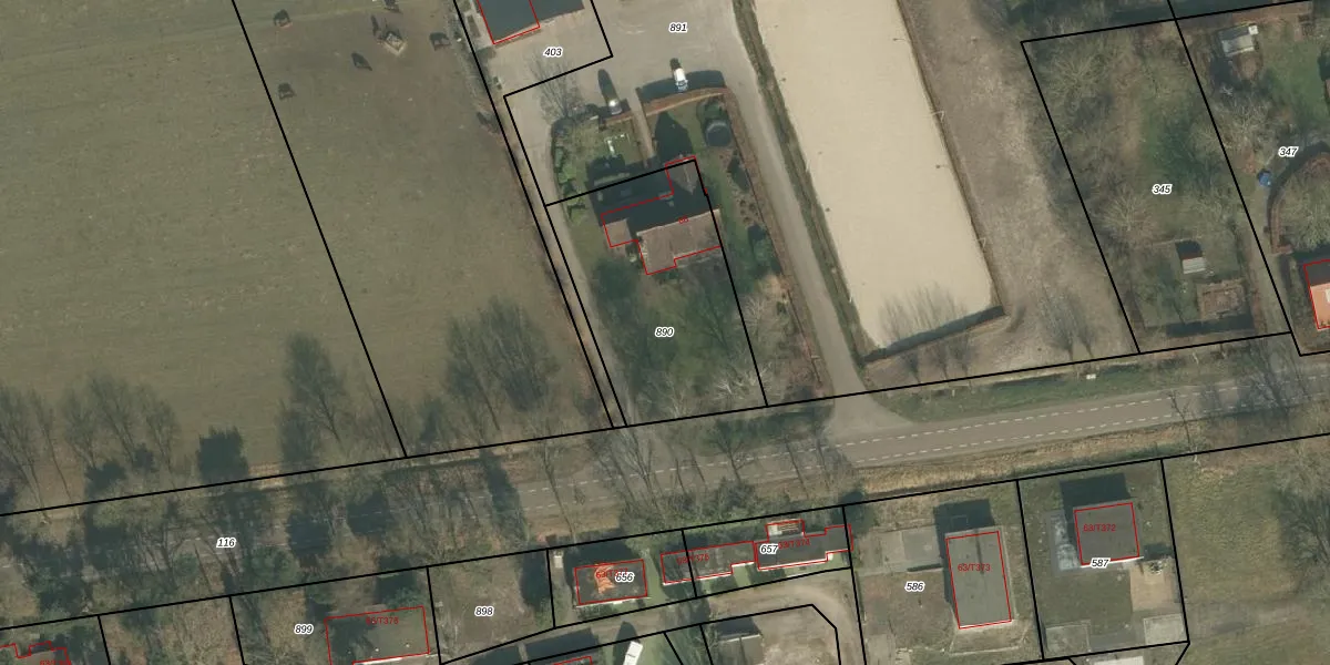
Perceel: GMT00-P-890
KadastraleKaart.com kan meer dan je denktOntdek meer ›
Filter op bestemming 50+ datasets Eigendomsdata in één klik Percelen CRM
825 m2 - 119 m
Eigenaar opvragen
GMT00-P-890 (Gemert)
- 5423 VV
omjBI DVUqkawP9zTR670Upgrade naar KadastraleKaart Pro
Verkoopprijs opvragen
Bekijk op Street View
Download DWG/DXF/Excel
X6fiZbREXCrE CMrWUpgrade naar KadastraleKaart Pro
8uC3y7Ym UHYLf6JUpgrade naar KadastraleKaart Pro
tQo7ikZny iwOBjH68Upgrade naar KadastraleKaart Pro
bgPzfvjVJ2KTiOVAdna9Upgrade naar KadastraleKaart Pro
sEGev5o5o LJa0 Si1iUpgrade naar KadastraleKaart Pro
v0wYjK6fC4 tweUpgrade naar KadastraleKaart Pro
6nPRSLsHtMWp6BxUpgrade naar KadastraleKaart Pro
f87qTW ttvL9DMb7sdmHp9MUpgrade naar KadastraleKaart Pro
rjlk0q9LCd3W1 OR9AUUpgrade naar KadastraleKaart Pro
6UsbcrJ7AUpgrade naar KadastraleKaart Pro
06/05/2019

Percelen
Gebruik de zoekbalk of klik op een perceel om informatie over het perceel te bekijken.