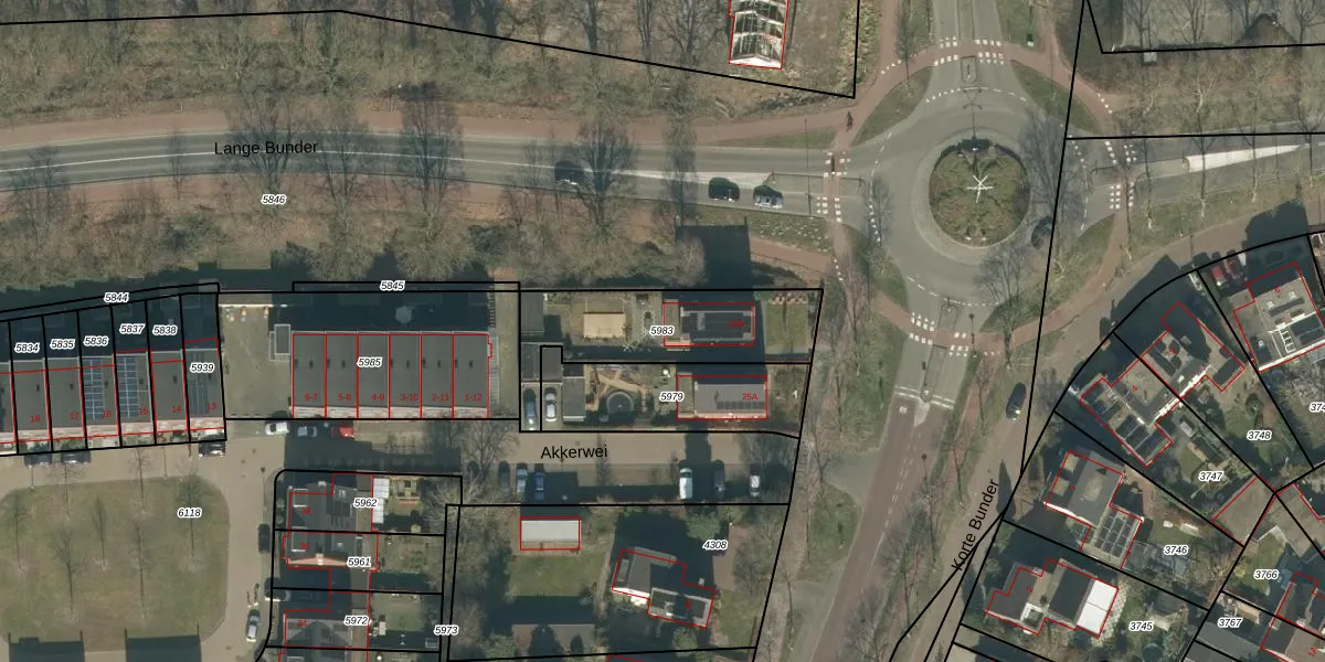
Perceel: GNK01-K-5983
KadastraleKaart.com kan meer dan je denktOntdek meer ›
Filter op bestemming 50+ datasets Eigendomsdata in één klik Percelen CRM
521 m2 - 138 m
Eigenaar opvragen
GNK01-K-5983 (Nieuw-Ginneken)
- 4854 NA
rm5pWyQNL5 hNPm3XUpgrade naar KadastraleKaart Pro
Bekijk op Street View
Download DWG/DXF/Excel
ZmIK17Dtedot40lv Upgrade naar KadastraleKaart Pro
ZJklnzl XAm5Upgrade naar KadastraleKaart Pro
sCMzHNBEcl RtBcMUpgrade naar KadastraleKaart Pro
dZJVFY0NgV2 UUpgrade naar KadastraleKaart Pro
mFttTAh2Vg1SUh5ixGioUpgrade naar KadastraleKaart Pro
vuFTd8lvPUpgrade naar KadastraleKaart Pro
aTZu75wybUpgrade naar KadastraleKaart Pro
udx7r ZS3R3MUpgrade naar KadastraleKaart Pro
rMxAchQAcEBCX77bNIOWJUpgrade naar KadastraleKaart Pro
jzQ0UyEwGkfjM p0kuBHSUpgrade naar KadastraleKaart Pro
13/07/2018

Percelen
Gebruik de zoekbalk of klik op een perceel om informatie over het perceel te bekijken.