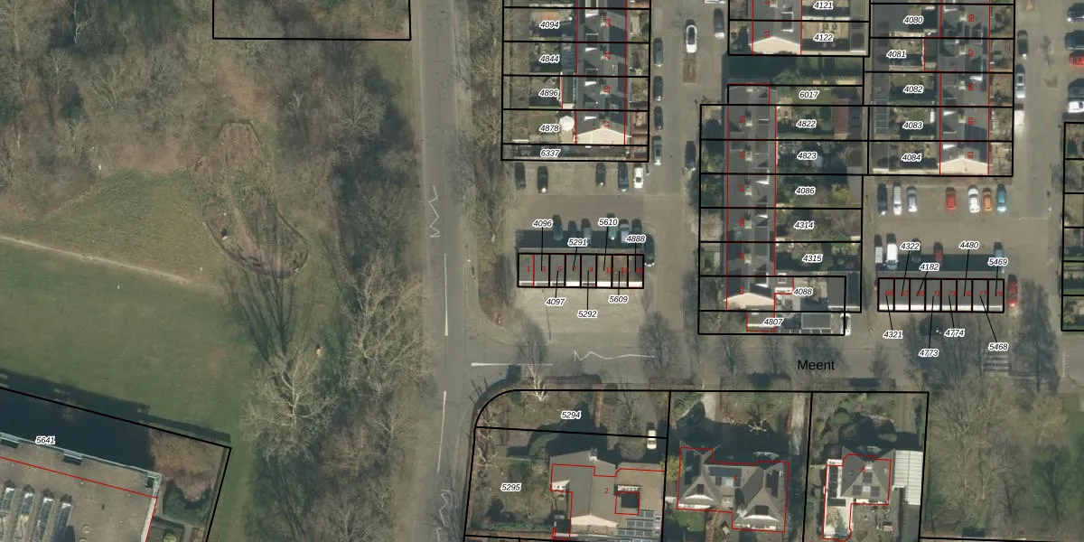
Perceel: GNK02-A-4096
KadastraleKaart.com kan meer dan je denktOntdek meer ›
Filter op bestemming 50+ datasets Eigendomsdata in één klik Percelen CRM
35 m2 - 24 m
Eigenaar opvragen
GNK02-A-4096 (Ginneken)
- 4817 NP
wN zT2QdWua2HuQX4jEUpgrade naar KadastraleKaart Pro
Bekijk op Street View
Download DWG/DXF/Excel
BeUvraqMujlUbC4Upgrade naar KadastraleKaart Pro
olN2zff1GX5NiBtiUpgrade naar KadastraleKaart Pro
8 OM38ypkDIV C g4UM Upgrade naar KadastraleKaart Pro
lS l3fse35uXv4UUpgrade naar KadastraleKaart Pro
V3N wi9kiTfWk KwrMgIaUpgrade naar KadastraleKaart Pro
TiHjSMdGZUpgrade naar KadastraleKaart Pro
SgoQV7lQJUUipUpgrade naar KadastraleKaart Pro
RyvkSIAUUpgrade naar KadastraleKaart Pro
yO4zfteqxn3DmB74jTZd kZUpgrade naar KadastraleKaart Pro
lzo0DLeLvCCKBA4 Upgrade naar KadastraleKaart Pro
24/02/2010

Percelen
Gebruik de zoekbalk of klik op een perceel om informatie over het perceel te bekijken.