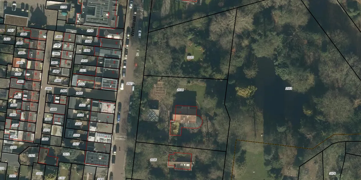
Perceel: GNK02-H-2034
KadastraleKaart.com kan meer dan je denktOntdek meer ›
Filter op bestemming 50+ datasets Eigendomsdata in één klik Percelen CRM
1.860 m2 - 175 m
Eigenaar opvragen
GNK02-H-2034 (Ginneken)
- 4835 KA
AkZe4nFhlgPw wdhcSLyu5IUpgrade naar KadastraleKaart Pro
Bekijk op Street View
Download DWG/DXF/Excel
FDn UwN3WrntvjvmJIrOu0Upgrade naar KadastraleKaart Pro
uolUW5kED KAGxwnbUpgrade naar KadastraleKaart Pro
W Fz4 wUrhXXzUpgrade naar KadastraleKaart Pro
ml2cfqpja dINKB XwSMUiEUpgrade naar KadastraleKaart Pro
tT7bdoS4VpUpgrade naar KadastraleKaart Pro
Tg82ADzOBh0TM oEKcedFUpgrade naar KadastraleKaart Pro
F ATtf QdE vWOnHoUpgrade naar KadastraleKaart Pro
IQhi EFQwUpgrade naar KadastraleKaart Pro
tXI7sQ sbTS XUpgrade naar KadastraleKaart Pro
dUKrDRSTIuUpgrade naar KadastraleKaart Pro
16/09/2008

Percelen
Gebruik de zoekbalk of klik op een perceel om informatie over het perceel te bekijken.