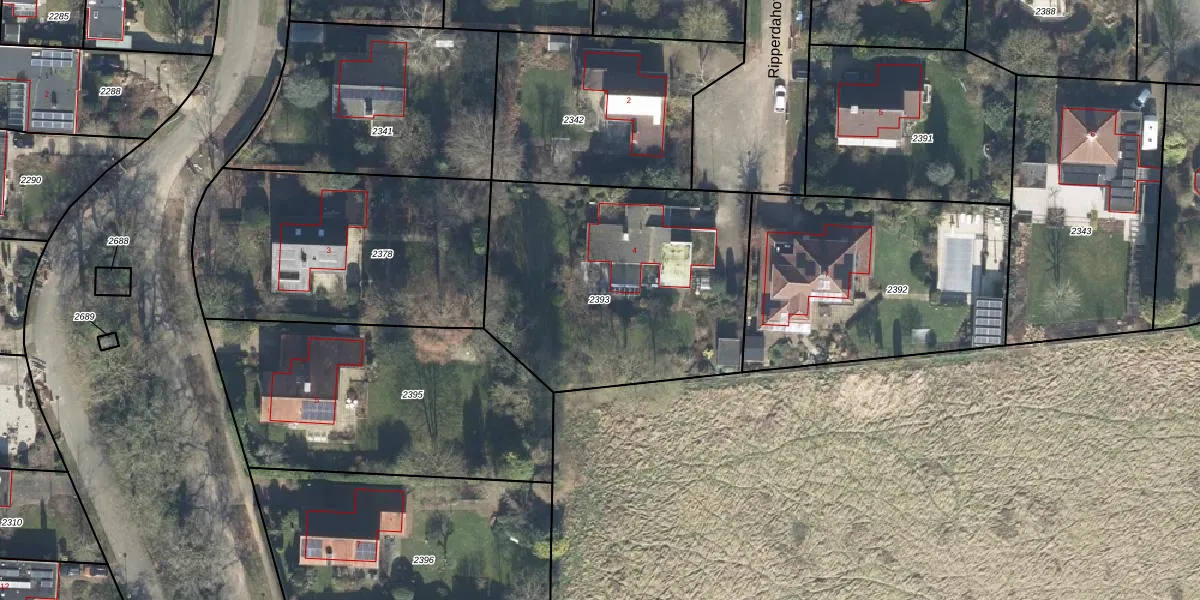
Perceel: GOO00-B-2393
KadastraleKaart.com kan meer dan je denktOntdek meer ›
Filter op bestemming 50+ datasets Eigendomsdata in één klik Percelen CRM
1.385 m2 - 146 m
Eigenaar opvragen
GOO00-B-2393 (Goor)
- 7471 MH
DvqdyFJdE5Z7pqfoIRVD89g3bsKZLZUpgrade naar KadastraleKaart Pro
Bekijk op Street View
Download DWG/DXF/Excel
HfDoUsfDkgp43 1i Eh 5lUpgrade naar KadastraleKaart Pro
FpW VimAwPG9Upgrade naar KadastraleKaart Pro
jOLYS O6cy PuxdP0IerUpgrade naar KadastraleKaart Pro
4Iro1XdJfs Upgrade naar KadastraleKaart Pro
47Pcq9Q4kH 6M3u6tUpgrade naar KadastraleKaart Pro
P680KSNtUpgrade naar KadastraleKaart Pro
Li6el 1dNNe6SYUpgrade naar KadastraleKaart Pro
bPkMMW82QEuJDBUpgrade naar KadastraleKaart Pro
TUkGMv41z 0w4JUpgrade naar KadastraleKaart Pro
xlzzDqJYZAGIzE2YJTVbsEtUpgrade naar KadastraleKaart Pro
06/09/2010

Percelen
Gebruik de zoekbalk of klik op een perceel om informatie over het perceel te bekijken.