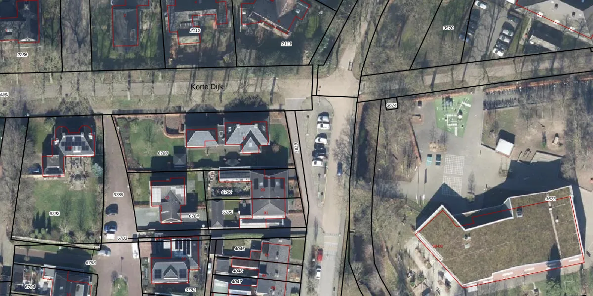
Perceel: GOO00-C-6787
KadastraleKaart.com kan meer dan je denktOntdek meer ›
Filter op bestemming 50+ datasets Eigendomsdata in één klik Percelen CRM
Geen adressen bij dit perceel
97 m2 - 83 m
Eigenaar opvragen
GOO00-C-6787 (Goor)
- Geen postcode aanwezig
KMxD967 TKa sjD Upgrade naar KadastraleKaart Pro
Bekijk op Street View
Download DWG/DXF/Excel
cr3IDSUXsmixf0PUpgrade naar KadastraleKaart Pro
L1ENDhZkSesz2Upgrade naar KadastraleKaart Pro
Jww2tlMvGUpgrade naar KadastraleKaart Pro
As K5DYSoLXUpgrade naar KadastraleKaart Pro
u4lLwx1yg39BISiUpgrade naar KadastraleKaart Pro
y3Vok 0VZMZ cUpgrade naar KadastraleKaart Pro
fB4uCo1CpBoFHD3tUpgrade naar KadastraleKaart Pro
lx 1qWhDUpgrade naar KadastraleKaart Pro
OtPtVWkNnoOyducoUpgrade naar KadastraleKaart Pro
KKEaRWsxUpgrade naar KadastraleKaart Pro
29/11/2006

Percelen
Gebruik de zoekbalk of klik op een perceel om informatie over het perceel te bekijken.