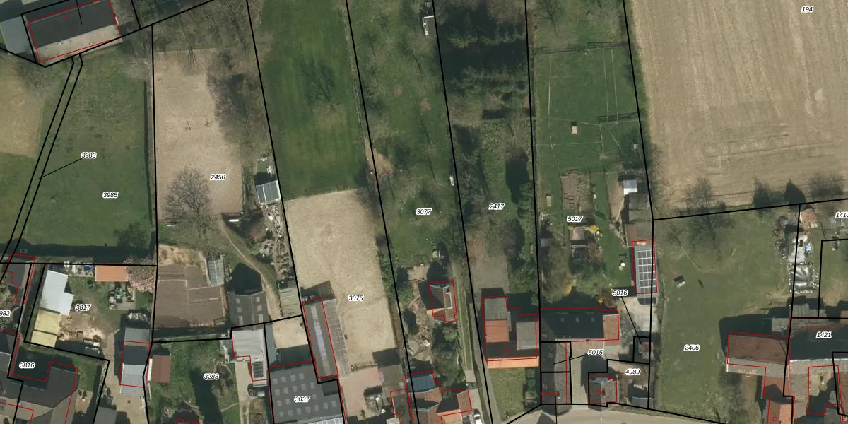
Perceel: GPN00-A-3077
KadastraleKaart.com kan meer dan je denktOntdek meer ›
Filter op bestemming 50+ datasets Eigendomsdata in één klik Percelen CRM
2.325 m2 - 286 m
Eigenaar opvragen
GPN00-A-3077 (Gulpen)
- 6273 NE
Hi 1xcI u0THFxOFtnm05OMNUpgrade naar KadastraleKaart Pro
Verkoopprijs opvragen
Bekijk op Street View
Download DWG/DXF/Excel
f5f40MKXwGvlwR5wUpgrade naar KadastraleKaart Pro
Nr a2euY56y6 3Upgrade naar KadastraleKaart Pro
9c vSW12 BCxz7q3UYvc0byUpgrade naar KadastraleKaart Pro
MeTWLyKfER2zmcWz Upgrade naar KadastraleKaart Pro
3XKY55s14Yd aUpgrade naar KadastraleKaart Pro
D nWEdzKA3ns0unt2WHUpgrade naar KadastraleKaart Pro
B90pKCuD YHSWsqunIFOHUpgrade naar KadastraleKaart Pro
SOrp8sPVUpgrade naar KadastraleKaart Pro
LU3ya0kTUChrIDroteUpgrade naar KadastraleKaart Pro
QTuhNiTjvJzjTUfD5oUpgrade naar KadastraleKaart Pro
09/02/2009

Percelen
Gebruik de zoekbalk of klik op een perceel om informatie over het perceel te bekijken.