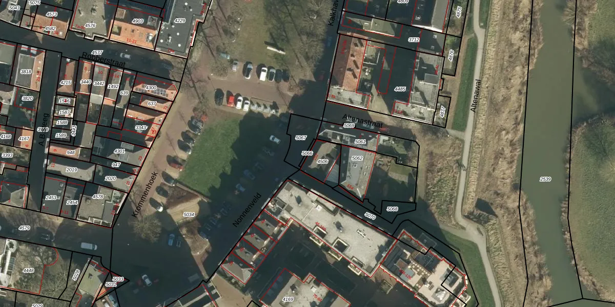
Perceel: GRC00-C-5066
Geen adressen bij dit perceel
8 m2 - 22 m
Eigenaar opvragen
GRC00-C-5066 (Gorinchem)
- Geen postcode aanwezig
ok56PqsX 7xwI 9QOUpgrade naar KadastraleKaart Pro
Bekijk op Street View
Download DWG/DXF/Excel
jGBp4bNRnohfoGacUpgrade naar KadastraleKaart Pro
wgj4HckT rlPjZnlXBZHAncUpgrade naar KadastraleKaart Pro
9EZ bYizF5ls8 JtxLUpgrade naar KadastraleKaart Pro
Sr Pb9e2TbcumVymy4VZARhUpgrade naar KadastraleKaart Pro
DSdjT5 UioUpgrade naar KadastraleKaart Pro
TzIff0NCZtmQUbjSjUpgrade naar KadastraleKaart Pro
UurG gVXOHugGSrOvrUpgrade naar KadastraleKaart Pro
Hd6 rKooJVUpgrade naar KadastraleKaart Pro
neBsjvbssufuqUUUpgrade naar KadastraleKaart Pro
1BjG2bG9sRatlXfQ1 n QUpgrade naar KadastraleKaart Pro
15/12/2017

Percelen
Gebruik de zoekbalk of klik op een perceel om informatie over het perceel te bekijken.