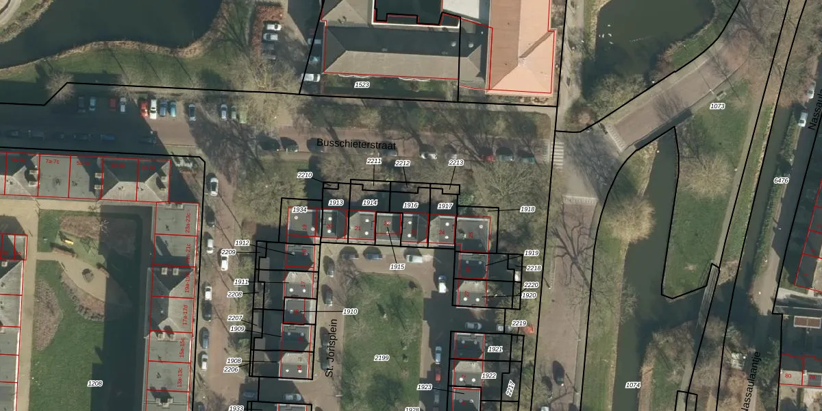
Perceel: GRC00-E-1916
KadastraleKaart.com kan meer dan je denktOntdek meer ›
Filter op bestemming 50+ datasets Eigendomsdata in één klik Percelen CRM
108 m2 - 49 m
Eigenaar opvragen
GRC00-E-1916 (Gorinchem)
- 4205 JB
E rP5R3 9KkP75ByMRUpgrade naar KadastraleKaart Pro
Bekijk op Street View
Download DWG/DXF/Excel
cF4WaSRs0dF0eq2APUpgrade naar KadastraleKaart Pro
Ff5FsP5xRXqxUpgrade naar KadastraleKaart Pro
3O GrnbptBUpgrade naar KadastraleKaart Pro
ygAXvvR w Bbo o90tyo wHUpgrade naar KadastraleKaart Pro
mgbo8onEp3ZixRS0i1Y8W7Upgrade naar KadastraleKaart Pro
Y SNyybA46 2iJl3m04Upgrade naar KadastraleKaart Pro
wyydbGziI5 ii E3h1FEJ9Upgrade naar KadastraleKaart Pro
hmKvX8ZBgQPkQUpgrade naar KadastraleKaart Pro
DKlkrHGIdUpgrade naar KadastraleKaart Pro
H1woSXZlYUpgrade naar KadastraleKaart Pro
02/04/2013

Percelen
Gebruik de zoekbalk of klik op een perceel om informatie over het perceel te bekijken.