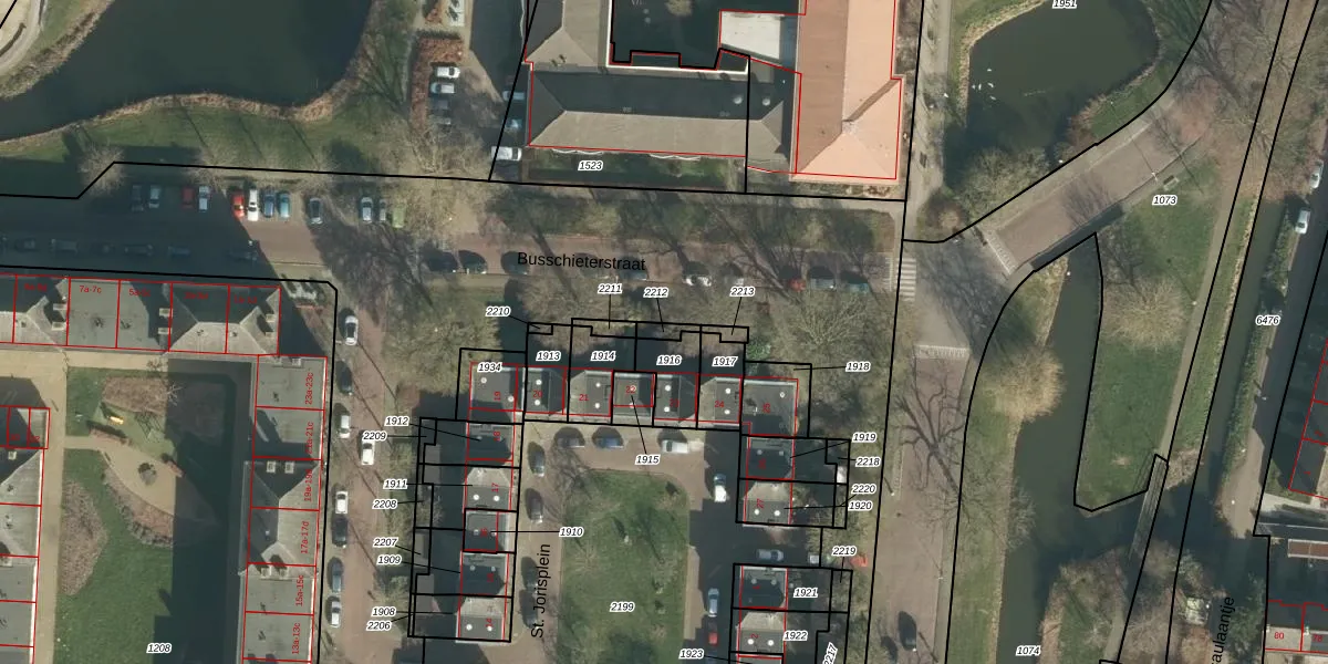
Perceel: GRC00-E-2212
KadastraleKaart.com kan meer dan je denktOntdek meer ›
Filter op bestemming 50+ datasets Eigendomsdata in één klik Percelen CRM
Geen adressen bij dit perceel
20 m2 - 24 m
Eigenaar opvragen
GRC00-E-2212 (Gorinchem)
- Geen postcode aanwezig
SIKN7sP9sxrt4BZAeeJQhnk6L04 QUpgrade naar KadastraleKaart Pro
Bekijk op Street View
Download DWG/DXF/Excel
Z9IhweD78l0Rh GKvG aUpgrade naar KadastraleKaart Pro
Z3 JmQ Hf LcUpgrade naar KadastraleKaart Pro
a98p1gaaPIUpgrade naar KadastraleKaart Pro
uzozlV2Jm3sOinsCrrZRCkUpgrade naar KadastraleKaart Pro
Q QdfoFjdmKC4F3ae1Upgrade naar KadastraleKaart Pro
Z nWoZfuYKOUpgrade naar KadastraleKaart Pro
69kvC ZvS3zXnUpgrade naar KadastraleKaart Pro
ER9TgnZM4VUpgrade naar KadastraleKaart Pro
PcFh1XvnjTmm2F sMqUpgrade naar KadastraleKaart Pro
N X2jtRVIEL A4PTnUpgrade naar KadastraleKaart Pro
25/09/2023

Percelen
Gebruik de zoekbalk of klik op een perceel om informatie over het perceel te bekijken.