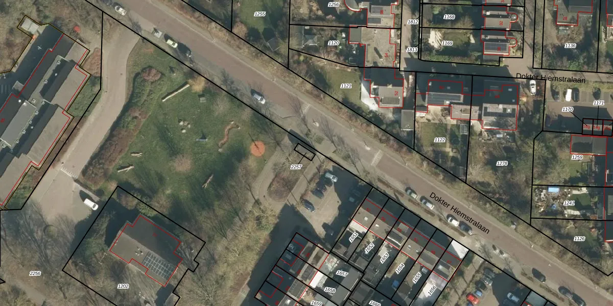
Perceel: GRC00-E-2257
KadastraleKaart.com kan meer dan je denktOntdek meer ›
Filter op bestemming 50+ datasets Eigendomsdata in één klik Percelen CRM
Geen adressen bij dit perceel
16 m2 - 18 m
Eigenaar opvragen
GRC00-E-2257 (Gorinchem)
- Geen postcode aanwezig
BccCxqePq BbtexhZrf1vvkwEMBWUpgrade naar KadastraleKaart Pro
Bekijk op Street View
Download DWG/DXF/Excel
l5 jdf VdZ3UGgHPS0Upgrade naar KadastraleKaart Pro
Sm7E2BBBwOKI zUpgrade naar KadastraleKaart Pro
dExt4mUHA9CRMXt3Upgrade naar KadastraleKaart Pro
vBJX3j TUpgrade naar KadastraleKaart Pro
6R3t2afEL4l9l0ceX6dws TUpgrade naar KadastraleKaart Pro
70D yJfMMUpgrade naar KadastraleKaart Pro
A799wh3Lf69y11H9Upgrade naar KadastraleKaart Pro
hu4XpVWe1Kb LqHHnl Upgrade naar KadastraleKaart Pro
yU3gaL EAWyzig U ignMUpgrade naar KadastraleKaart Pro
9rphZvAAYuQPsZ0lCRUpgrade naar KadastraleKaart Pro
29/10/2024

Percelen
Gebruik de zoekbalk of klik op een perceel om informatie over het perceel te bekijken.