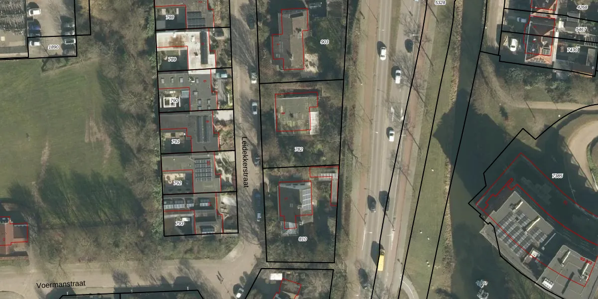
Perceel: GRC00-E-782
KadastraleKaart.com kan meer dan je denktOntdek meer ›
Filter op bestemming 50+ datasets Eigendomsdata in één klik Percelen CRM
767 m2 - 111 m
Eigenaar opvragen
GRC00-E-782 (Gorinchem)
- 4204 RA
SY J6A R8omrvJJ3DRoJbU2Upgrade naar KadastraleKaart Pro
Verkoopprijs opvragen
Bekijk op Street View
Download DWG/DXF/Excel
zKFQJ thKh5wUpgrade naar KadastraleKaart Pro
Pxw6BSC wuzcra60Coz3pvBUpgrade naar KadastraleKaart Pro
iKLDBzWLopc9GymC ijYUpgrade naar KadastraleKaart Pro
kzwsG fNAc4CMGUpgrade naar KadastraleKaart Pro
MN94t6OnFB7OFARSUpgrade naar KadastraleKaart Pro
0IEmbu6Njj K4i77yUpgrade naar KadastraleKaart Pro
efI1Ra1DSXHDxM87or9Upgrade naar KadastraleKaart Pro
m RGo4Q544HdjAxALiEUpgrade naar KadastraleKaart Pro
wIhBFEaTgnkYPsUUDgR Upgrade naar KadastraleKaart Pro
qsehdE1CzxLETUpgrade naar KadastraleKaart Pro
22/12/2009

Percelen
Gebruik de zoekbalk of klik op een perceel om informatie over het perceel te bekijken.