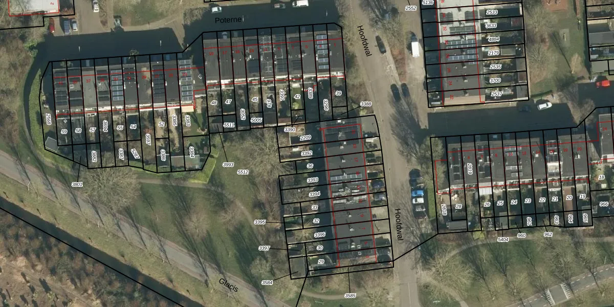
Perceel: GRC00-F-3392
KadastraleKaart.com kan meer dan je denktOntdek meer ›
Filter op bestemming 50+ datasets Eigendomsdata in één klik Percelen CRM
149 m2 - 76 m
Eigenaar opvragen
GRC00-F-3392 (Gorinchem)
- 4207 EA
u2qmmzJYIgumPz0XUpgrade naar KadastraleKaart Pro
Verkoopprijs opvragen
Bekijk op Street View
Download DWG/DXF/Excel
gwSxZJKZrx75UlkoUpgrade naar KadastraleKaart Pro
q2h e3NstLnYbUpgrade naar KadastraleKaart Pro
rkPkjqACfyTG Upgrade naar KadastraleKaart Pro
y1 sh34SkBruK3IzNDDUpgrade naar KadastraleKaart Pro
jYUWmhpr Upgrade naar KadastraleKaart Pro
C0sj ekp3Dq5Upgrade naar KadastraleKaart Pro
ytFWJV zUpgrade naar KadastraleKaart Pro
pKmU C8TUpgrade naar KadastraleKaart Pro
QULqWADxAuFUpgrade naar KadastraleKaart Pro
MAL126nl9kjis QKFod3GwUpgrade naar KadastraleKaart Pro
24/11/2009

Percelen
Gebruik de zoekbalk of klik op een perceel om informatie over het perceel te bekijken.