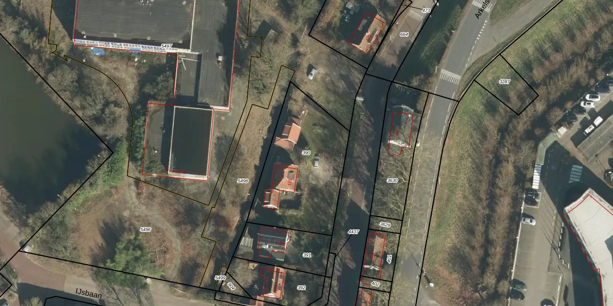
Perceel: GRC00-F-390
KadastraleKaart.com kan meer dan je denktOntdek meer ›
Filter op bestemming 50+ datasets Eigendomsdata in één klik Percelen CRM
1.052 m2 - 136 m
Eigenaar opvragen
GRC00-F-390 (Gorinchem)
- 4206 AG
kAEwDA7a1GGJtAM4x6l7Upgrade naar KadastraleKaart Pro
Verkoopprijs opvragen
Bekijk op Street View
Download DWG/DXF/Excel
tLkRqWRQ73mPUpgrade naar KadastraleKaart Pro
r5RvLO F0x byUpgrade naar KadastraleKaart Pro
8 kiSNHw7 92bOHUpgrade naar KadastraleKaart Pro
KOz o6ZD2tsWjWl N vTAUpgrade naar KadastraleKaart Pro
BY woTZeQZYrwf5GDY7bUpgrade naar KadastraleKaart Pro
Tx lhfr5J LhOyL9lHWZUpgrade naar KadastraleKaart Pro
KNQRipopG1gEYv TjXqDFFUpgrade naar KadastraleKaart Pro
h9I7NKJMUpgrade naar KadastraleKaart Pro
qF6IDX9fPB3d5Upgrade naar KadastraleKaart Pro
9pKd9LLxLf0fJk2Upgrade naar KadastraleKaart Pro
22/01/2025

Percelen
Gebruik de zoekbalk of klik op een perceel om informatie over het perceel te bekijken.