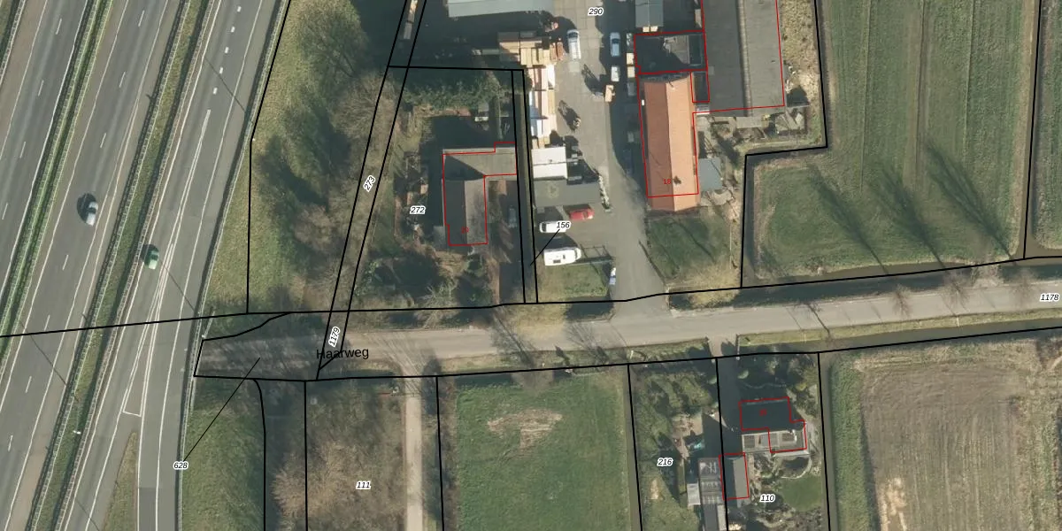
Perceel: GRC00-G-156
KadastraleKaart.com kan meer dan je denktOntdek meer ›
Filter op bestemming 50+ datasets Eigendomsdata in één klik Percelen CRM
Geen adressen bij dit perceel
110 m2 - 93 m
Eigenaar opvragen
GRC00-G-156 (Gorinchem)
- Geen postcode aanwezig
rLIzGp6HAO wNKNeq4GXUpgrade naar KadastraleKaart Pro
Bekijk op Street View
Download DWG/DXF/Excel
AgCEa00nJuLY36qLxZHjOBUpgrade naar KadastraleKaart Pro
HaFsy8MedqqZ8JLUpgrade naar KadastraleKaart Pro
bxzwmTi XqOVT3Upgrade naar KadastraleKaart Pro
OMdlLUpJX DrbC0IUpgrade naar KadastraleKaart Pro
2I p1rhjhEgUSMBfAEDT Upgrade naar KadastraleKaart Pro
n7Tclayf D hdx97sA5rUpgrade naar KadastraleKaart Pro
1oqzuxgOaGEbyUpgrade naar KadastraleKaart Pro
E cM4i82ZnJaghoWSadUpgrade naar KadastraleKaart Pro
b8NiPmJQrKUpgrade naar KadastraleKaart Pro
zaX Voe PrsE 8SeMUpgrade naar KadastraleKaart Pro
25/04/2001

Percelen
Gebruik de zoekbalk of klik op een perceel om informatie over het perceel te bekijken.