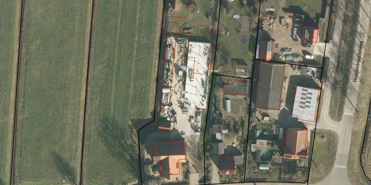
Perceel: GRC00-G-209
KadastraleKaart.com kan meer dan je denktOntdek meer ›
Filter op bestemming 50+ datasets Eigendomsdata in één klik Percelen CRM
3.265 m2 - 275 m
Eigenaar opvragen
GRC00-G-209 (Gorinchem)
- 4205 ND
sMeAQh INf8pEIcPWXI0pyK 9Mk33Upgrade naar KadastraleKaart Pro
Verkoopprijs opvragen
Bekijk op Street View
Download DWG/DXF/Excel
v9xlG er9gVUpgrade naar KadastraleKaart Pro
y qo96DBSyRvP4hEJQMUpgrade naar KadastraleKaart Pro
lbKz1Tb jd 5clTEPE3ANuUpgrade naar KadastraleKaart Pro
6lSSyEKQgVJx56Upgrade naar KadastraleKaart Pro
IH8EInkf1 32Xq G CPUpgrade naar KadastraleKaart Pro
pDIy pKYkFa2u sxG89Upgrade naar KadastraleKaart Pro
RC6gVTQSPUpgrade naar KadastraleKaart Pro
4m B6JB 1 J Upgrade naar KadastraleKaart Pro
bLJX5AnGsBFzK6wW Upgrade naar KadastraleKaart Pro
jVZgoM1CmTmjvKLT Upgrade naar KadastraleKaart Pro
24/07/2023

Percelen
Gebruik de zoekbalk of klik op een perceel om informatie over het perceel te bekijken.