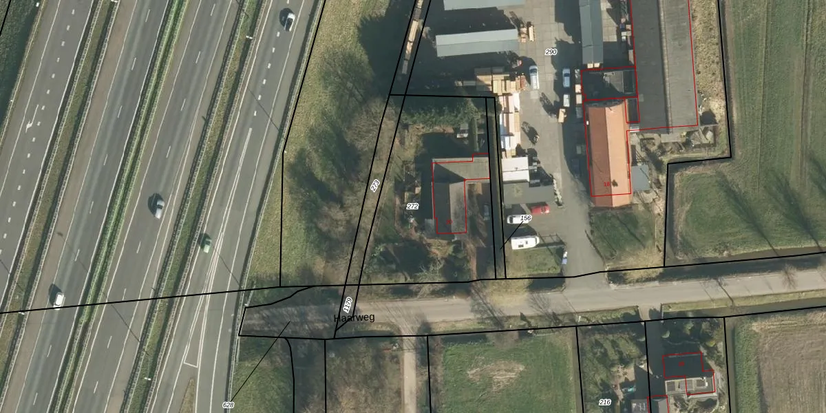
Perceel: GRC00-G-272
KadastraleKaart.com kan meer dan je denktOntdek meer ›
Filter op bestemming 50+ datasets Eigendomsdata in één klik Percelen CRM
1.147 m2 - 144 m
Eigenaar opvragen
GRC00-G-272 (Gorinchem)
- 4205 ND
KcxJ2 Yhkhz5dVDAU5ydfTUpgrade naar KadastraleKaart Pro
Verkoopprijs opvragen
Bekijk op Street View
Download DWG/DXF/Excel
Vx1FTZ8Ok4Cy600vqWHOt Upgrade naar KadastraleKaart Pro
5dbcnTU27dUpgrade naar KadastraleKaart Pro
Myq1P 1Tm E4HUpgrade naar KadastraleKaart Pro
UidQVs cap5aH73ejD6CnAUUpgrade naar KadastraleKaart Pro
iY90evR 9G6ou2oSXUpgrade naar KadastraleKaart Pro
0dflFQ3Upgrade naar KadastraleKaart Pro
Vc5QUm5qr1UDvt4QBD3FUpgrade naar KadastraleKaart Pro
cinIA92YQzen vZjEwfygkUpgrade naar KadastraleKaart Pro
8Q8J4YzgsU2cc0AWxUpgrade naar KadastraleKaart Pro
L05B0iezeUpgrade naar KadastraleKaart Pro
03/02/2025

Percelen
Gebruik de zoekbalk of klik op een perceel om informatie over het perceel te bekijken.