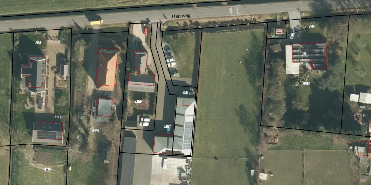
Perceel: GRC00-H-593
KadastraleKaart.com kan meer dan je denktOntdek meer ›
Filter op bestemming 50+ datasets Eigendomsdata in één klik Percelen CRM
Geen adressen bij dit perceel
505 m2 - 173 m
Eigenaar opvragen
GRC00-H-593 (Gorinchem)
- Geen postcode aanwezig
npNcVh tE55h98i94B7 0hUz EguUpgrade naar KadastraleKaart Pro
Bekijk op Street View
Download DWG/DXF/Excel
XvQuQNM8 AJhEDrIqKHUpgrade naar KadastraleKaart Pro
l3SHi82Upgrade naar KadastraleKaart Pro
9EV6pqSyX Upgrade naar KadastraleKaart Pro
Kq VjRmosIvUpgrade naar KadastraleKaart Pro
b0Bew 1LtfSKHSUpgrade naar KadastraleKaart Pro
yJD2 w4tcwIroXjHXwKMUpgrade naar KadastraleKaart Pro
cp mvzHzpLl5cUS24YdUpgrade naar KadastraleKaart Pro
Wbkkb wO Upgrade naar KadastraleKaart Pro
ut1PZ1fXUpgrade naar KadastraleKaart Pro
sz476ELHZcCt 1KSsaz9kbUpgrade naar KadastraleKaart Pro
28/12/2020

Percelen
Gebruik de zoekbalk of klik op een perceel om informatie over het perceel te bekijken.