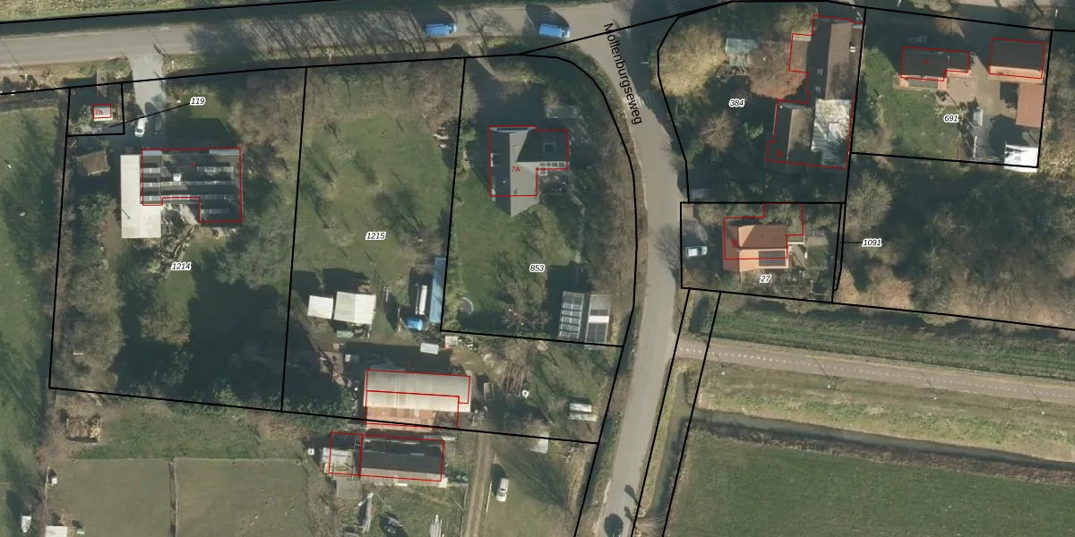
Perceel: GRC00-H-853
KadastraleKaart.com kan meer dan je denktOntdek meer ›
Filter op bestemming 50+ datasets Eigendomsdata in één klik Percelen CRM
1.670 m2 - 162 m
Eigenaar opvragen
GRC00-H-853 (Gorinchem)
- 4205 NC
tHBs3M IFaFY obHBhUpgrade naar KadastraleKaart Pro
Verkoopprijs opvragen
Bekijk op Street View
Download DWG/DXF/Excel
mqwP4bNNPCSoCyRHJYq1 Upgrade naar KadastraleKaart Pro
c xopu7vqMBeUpgrade naar KadastraleKaart Pro
bPpI8dmOFrMh K2bSeUpgrade naar KadastraleKaart Pro
3PyZKdy6ku Wm8gychNUpgrade naar KadastraleKaart Pro
x3IO wqTUpgrade naar KadastraleKaart Pro
M20wUea79q 6KM7SwWUpgrade naar KadastraleKaart Pro
bs6Pqnd8Upgrade naar KadastraleKaart Pro
ckVzmMOva Upgrade naar KadastraleKaart Pro
nP EZdZWCbf BFfEaj9Upgrade naar KadastraleKaart Pro
c7odIWOq6BqUpgrade naar KadastraleKaart Pro
13/04/2016

Percelen
Gebruik de zoekbalk of klik op een perceel om informatie over het perceel te bekijken.