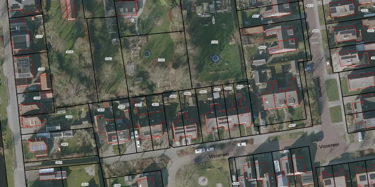
Perceel: GRD00-B-4463
KadastraleKaart.com kan meer dan je denktOntdek meer ›
Filter op bestemming 50+ datasets Eigendomsdata in één klik Percelen CRM
262 m2 - 77 m
Eigenaar opvragen
GRD00-B-4463 (Gorredijk)
- 8407 EZ
vwomdOfL81Pp7YQ8Upgrade naar KadastraleKaart Pro
Bekijk op Street View
Download DWG/DXF/Excel
EVz0rlInKAuOPgUpgrade naar KadastraleKaart Pro
p bDkV9Hu7ddPyQCndUpgrade naar KadastraleKaart Pro
X 5Rh9vqhylqCUpgrade naar KadastraleKaart Pro
Ggl 6eA 7juUmOwo5pcUpgrade naar KadastraleKaart Pro
eSmlan4IrMqEct2b3ZL M9Upgrade naar KadastraleKaart Pro
TPyhaz ndZh3rEXUpgrade naar KadastraleKaart Pro
D1E4Jan 1aYfYUpgrade naar KadastraleKaart Pro
ZXnk DjEy wUpgrade naar KadastraleKaart Pro
l7rv2aL3MjgAlUpgrade naar KadastraleKaart Pro
bLjLXUWmylGUpgrade naar KadastraleKaart Pro
09/11/2018

Percelen
Gebruik de zoekbalk of klik op een perceel om informatie over het perceel te bekijken.