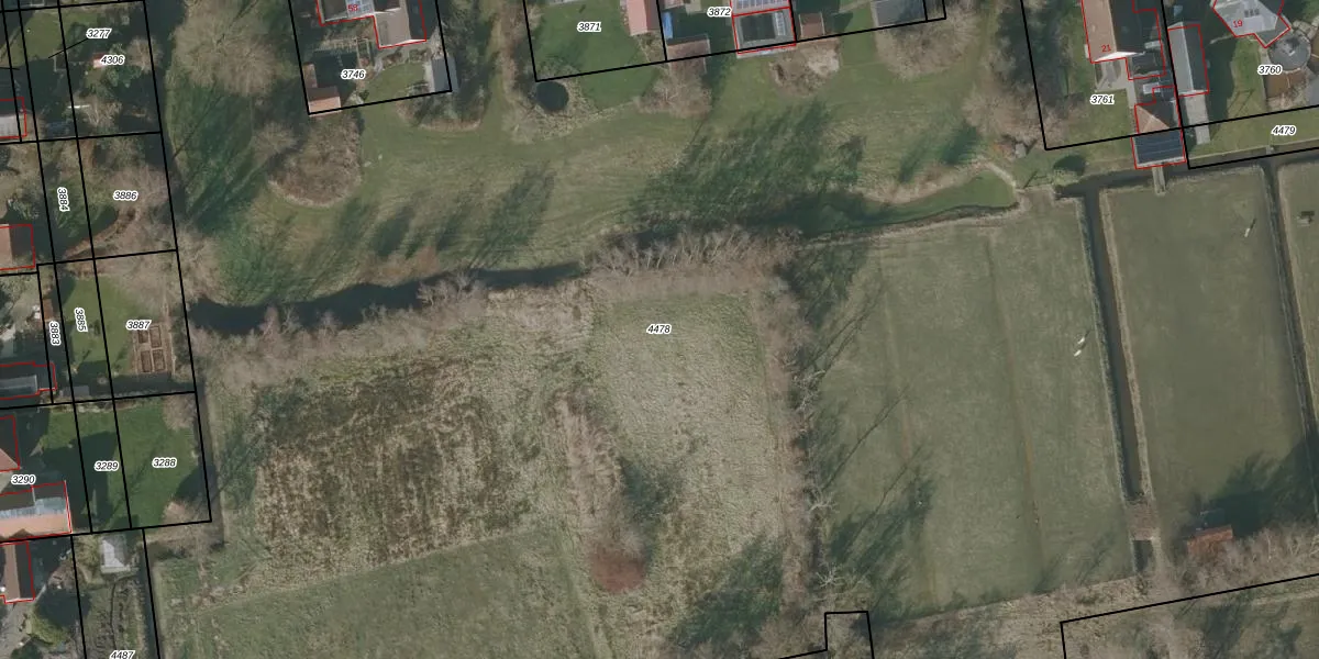
Perceel: GRD00-B-4478
KadastraleKaart.com kan meer dan je denktOntdek meer ›
Filter op bestemming 50+ datasets Eigendomsdata in één klik Percelen CRM
Geen adressen bij dit perceel
45.046 m2 - 4.719 m
Eigenaar opvragen
GRD00-B-4478 (Gorredijk)
- Geen postcode aanwezig
D4m1KUSX8osONd01V fwTXxaTQeGUpgrade naar KadastraleKaart Pro
Bekijk op Street View
Download DWG/DXF/Excel
hmod1cPcEGPjQ EqOUpgrade naar KadastraleKaart Pro
x33Odi Y44H65muXUpgrade naar KadastraleKaart Pro
8B7IXznTlgxEUpgrade naar KadastraleKaart Pro
9yRfY 8efJ qotlh98DdhUpgrade naar KadastraleKaart Pro
tRwgT HKpztcjdF4 Upgrade naar KadastraleKaart Pro
KbOTvoIF4 3ALYG3 rGPxoNUpgrade naar KadastraleKaart Pro
HVPcBxs3rGGwlfTYSKUpgrade naar KadastraleKaart Pro
c8 kHIECzMBiQFUpgrade naar KadastraleKaart Pro
jfZPaL0Ro ulwj WUpgrade naar KadastraleKaart Pro
hqAh5XD6vEWwp lNM2AVUpgrade naar KadastraleKaart Pro
05/06/2025

Percelen
Gebruik de zoekbalk of klik op een perceel om informatie over het perceel te bekijken.