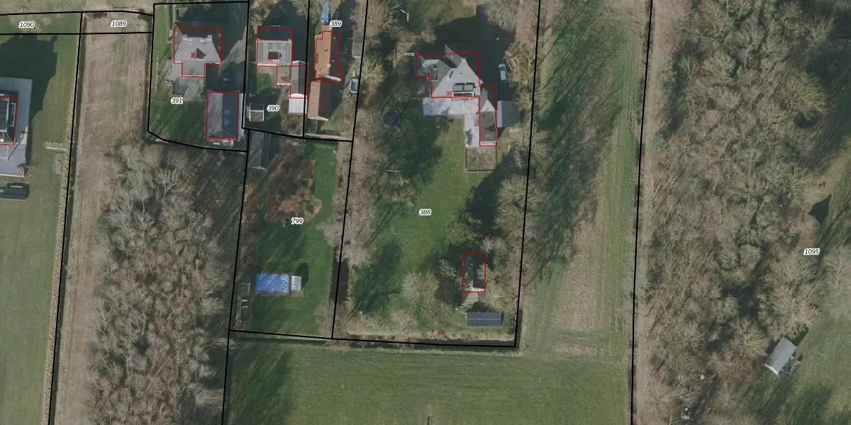
Perceel: GRD00-E-388
KadastraleKaart.com kan meer dan je denktOntdek meer ›
Filter op bestemming 50+ datasets Eigendomsdata in één klik Percelen CRM
3.490 m2 - 249 m
Eigenaar opvragen
GRD00-E-388 (Gorredijk)
- 8407 EG
SbzrgwFgP0D Aie59CbkUpgrade naar KadastraleKaart Pro
Verkoopprijs opvragen
Bekijk op Street View
Download DWG/DXF/Excel
4S6Vq6vrP Upgrade naar KadastraleKaart Pro
As WfObiB0 0QLRUpgrade naar KadastraleKaart Pro
I0 p CTiyUpgrade naar KadastraleKaart Pro
VkCfr lF 0 R2vUpgrade naar KadastraleKaart Pro
N53VRuKHWGZLdHfINg COUpgrade naar KadastraleKaart Pro
oj 8X6B sLHzUpgrade naar KadastraleKaart Pro
aEPXWXfKmMvRCUpgrade naar KadastraleKaart Pro
U F6tNwH 5uqBUpgrade naar KadastraleKaart Pro
Mu n8U3McA LGJ4kjzZ0NOUpgrade naar KadastraleKaart Pro
UZibHrhNGIsUpgrade naar KadastraleKaart Pro
20/11/2000

Percelen
Gebruik de zoekbalk of klik op een perceel om informatie over het perceel te bekijken.