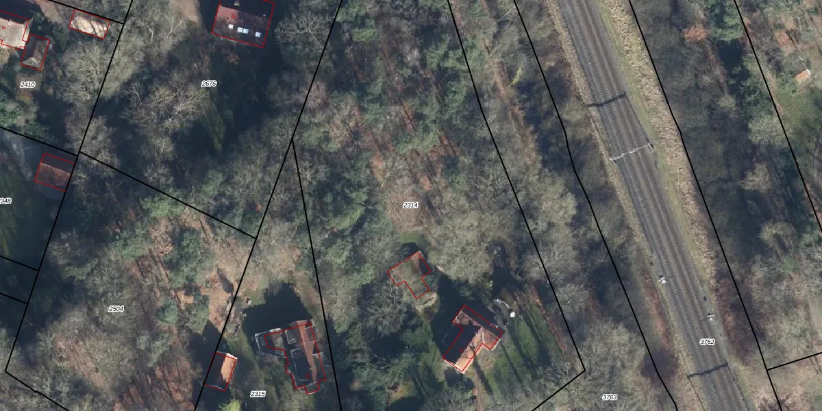
Perceel: GSL01-B-2314
KadastraleKaart.com kan meer dan je denktOntdek meer ›
Filter op bestemming 50+ datasets Eigendomsdata in één klik Percelen CRM
5.700 m2 - 354 m
Eigenaar opvragen
GSL01-B-2314 (Gorssel)
- 7214 EH
7zC4qruZDNqS7ZGwUpgrade naar KadastraleKaart Pro
Verkoopprijs opvragen
Bekijk op Street View
Download DWG/DXF/Excel
AD3W8 1zUS2Upgrade naar KadastraleKaart Pro
Aj2ZtL z0du2Upgrade naar KadastraleKaart Pro
9XIikZJlQy0A6PUpgrade naar KadastraleKaart Pro
eNU20f4eUpgrade naar KadastraleKaart Pro
4Zuy 4kCl vR7xiWsUpgrade naar KadastraleKaart Pro
azXXGNfd Ea1Upgrade naar KadastraleKaart Pro
clYsr KfIUpgrade naar KadastraleKaart Pro
qr6lLdkelh12uQUpgrade naar KadastraleKaart Pro
f1tOU1x KUpgrade naar KadastraleKaart Pro
WjI AXGK4VBnc7vUpgrade naar KadastraleKaart Pro
16/03/2007

Percelen
Gebruik de zoekbalk of klik op een perceel om informatie over het perceel te bekijken.