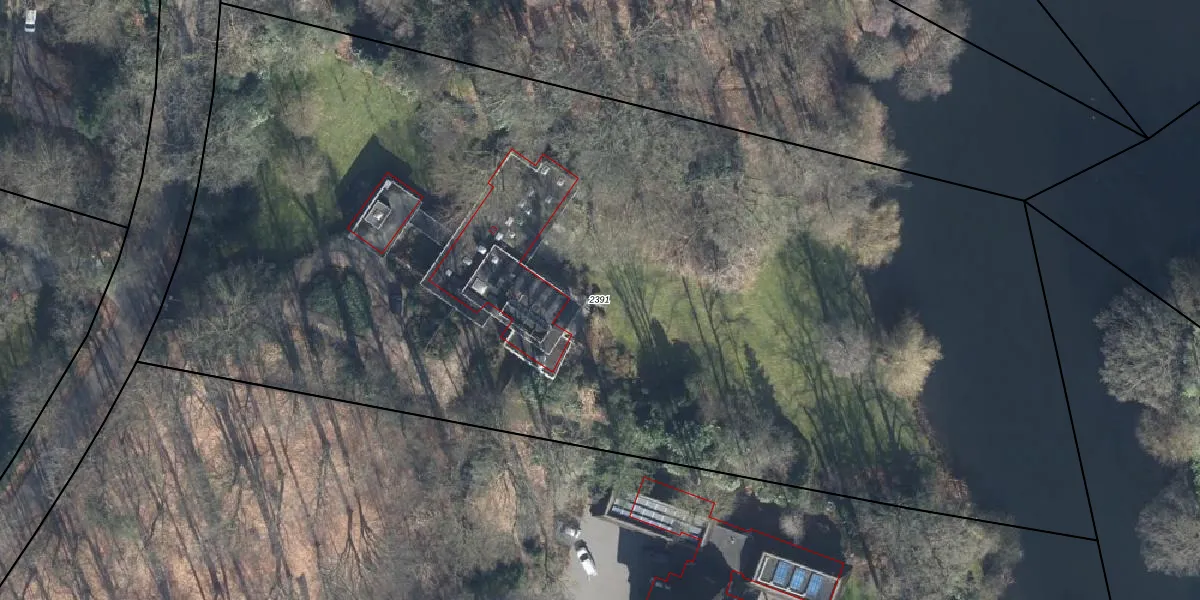
Perceel: GSL01-B-2391
KadastraleKaart.com kan meer dan je denktOntdek meer ›
Filter op bestemming 50+ datasets Eigendomsdata in één klik Percelen CRM
8.540 m2 - 421 m
Eigenaar opvragen
GSL01-B-2391 (Gorssel)
- 7214 EM
P8o oxBwlQrLobE9s4FTSMUpgrade naar KadastraleKaart Pro
Verkoopprijs opvragen
Bekijk op Street View
Download DWG/DXF/Excel
fYK2 FbEmYPvPRfxAPfy mgUpgrade naar KadastraleKaart Pro
p8yPtI4x DZwfGu 86MUdWUpgrade naar KadastraleKaart Pro
FX3LKPRJGKvjTEUpgrade naar KadastraleKaart Pro
b Z2kJDx1ZVUufUpgrade naar KadastraleKaart Pro
OgEYDvQ 1XAUpgrade naar KadastraleKaart Pro
7HkIX 8 diVqzlWEEIi5cTUpgrade naar KadastraleKaart Pro
M94sEimQUpgrade naar KadastraleKaart Pro
jKD0VPV1rVkD Vr7xMUpgrade naar KadastraleKaart Pro
t8QJhYTQrD1EHuNnNGViUpgrade naar KadastraleKaart Pro
GI660Myh F6auWSDUpgrade naar KadastraleKaart Pro
22/10/2001

Percelen
Gebruik de zoekbalk of klik op een perceel om informatie over het perceel te bekijken.