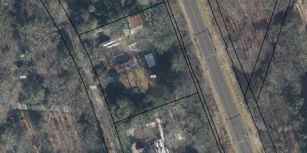
Perceel: GSL01-B-2461
KadastraleKaart.com kan meer dan je denktOntdek meer ›
Filter op bestemming 50+ datasets Eigendomsdata in één klik Percelen CRM
3.640 m2 - 243 m
Eigenaar opvragen
GSL01-B-2461 (Gorssel)
- 7214 EG
5N9mcgGCM5xd5Iz 4Ga2iWTPG1I6wdUpgrade naar KadastraleKaart Pro
Verkoopprijs opvragen
Bekijk op Street View
Download DWG/DXF/Excel
sFHK0Upgrade naar KadastraleKaart Pro
dpLPVmYs1xEl2Bf 3nUpgrade naar KadastraleKaart Pro
Hx1ebtPEn7 ei0k7Upgrade naar KadastraleKaart Pro
1PgErIj4z29 0u9 Upgrade naar KadastraleKaart Pro
jnAjAUQFFSXuJXyUs C11Upgrade naar KadastraleKaart Pro
wkAao2XMnndjJwZRUpgrade naar KadastraleKaart Pro
FgJ6Nm S PbByjbMY0Upgrade naar KadastraleKaart Pro
FJx SwHoiN3ON3Upgrade naar KadastraleKaart Pro
Np4p6dIdPqvqZIt5DvlUpgrade naar KadastraleKaart Pro
8 raTVnNfUpgrade naar KadastraleKaart Pro
16/03/2007

Percelen
Gebruik de zoekbalk of klik op een perceel om informatie over het perceel te bekijken.