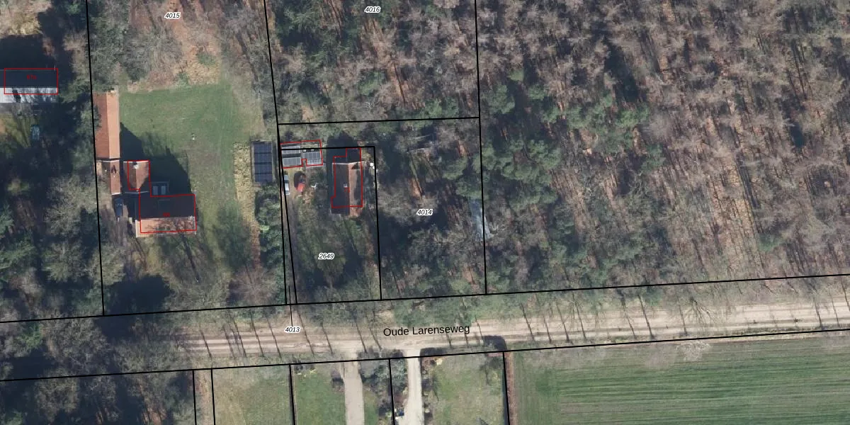
Perceel: GSL01-B-4014
Geen adressen bij dit perceel
1.200 m2 - 178 m
Eigenaar opvragen
GSL01-B-4014 (Gorssel)
- Geen postcode aanwezig
ziPSNISTJkwYE0UGkxWYuUpgrade naar KadastraleKaart Pro
Bekijk op Street View
Download DWG/DXF/Excel
hbOvW CT1Upgrade naar KadastraleKaart Pro
AL Ac n65ERq42L5Upgrade naar KadastraleKaart Pro
4uRGELoTWo fnDs0yZJUpgrade naar KadastraleKaart Pro
3MwRelqEaOoTSa gntUpgrade naar KadastraleKaart Pro
AZALUTcyuysJUpgrade naar KadastraleKaart Pro
7eogZ2GZlx0guUC2Upgrade naar KadastraleKaart Pro
zyYh ux5zTSUpgrade naar KadastraleKaart Pro
NzAW0LUcFI2Upgrade naar KadastraleKaart Pro
nS7I8FhXK 4dZUpgrade naar KadastraleKaart Pro
P0igoLShUpgrade naar KadastraleKaart Pro
11/09/2018

Percelen
Gebruik de zoekbalk of klik op een perceel om informatie over het perceel te bekijken.