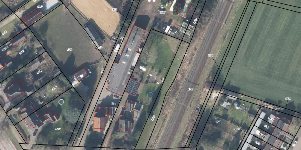
Perceel: GSL01-C-1271
KadastraleKaart.com kan meer dan je denktOntdek meer ›
Filter op bestemming 50+ datasets Eigendomsdata in één klik Percelen CRM
1.800 m2 - 210 m
Eigenaar opvragen
GSL01-C-1271 (Gorssel)
- 7211 EV
C yyRO3KDpiKnzHFVvBTyUpgrade naar KadastraleKaart Pro
Verkoopprijs opvragen
Bekijk op Street View
Download DWG/DXF/Excel
KsQL82ZDsekdUpgrade naar KadastraleKaart Pro
BnJeEY0HvZUpgrade naar KadastraleKaart Pro
e hyTb jDqfsSz8RMwDgu gUpgrade naar KadastraleKaart Pro
2wpgieYMsT0r2v Upgrade naar KadastraleKaart Pro
0ezNC1sYUpgrade naar KadastraleKaart Pro
pyse044Stvrxw6Upgrade naar KadastraleKaart Pro
W o uGprUpgrade naar KadastraleKaart Pro
KuRS W xlt8Jy1YaUpgrade naar KadastraleKaart Pro
A8owN50PKIEukd8Upgrade naar KadastraleKaart Pro
Muf1RZW1Jy HkhSJnUpgrade naar KadastraleKaart Pro
28/03/2012

Percelen
Gebruik de zoekbalk of klik op een perceel om informatie over het perceel te bekijken.