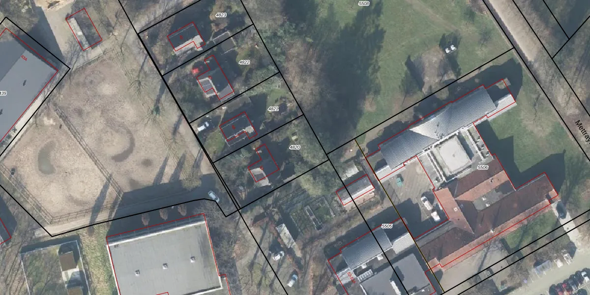
Perceel: GSL01-C-4820
KadastraleKaart.com kan meer dan je denktOntdek meer ›
Filter op bestemming 50+ datasets Eigendomsdata in één klik Percelen CRM
625 m2 - 105 m
Eigenaar opvragen
GSL01-C-4820 (Gorssel)
- 7211 LC
BK9 sx8tHX71gGB2lktRQUpgrade naar KadastraleKaart Pro
Verkoopprijs opvragen
Bekijk op Street View
Download DWG/DXF/Excel
ku6a6j ygsu xQiItHTUpgrade naar KadastraleKaart Pro
oChhpU 7i0ZIeUpgrade naar KadastraleKaart Pro
MHqJWlJ0Upgrade naar KadastraleKaart Pro
MRv0orlrhdUJfUpgrade naar KadastraleKaart Pro
wTc8PjB yo643Upgrade naar KadastraleKaart Pro
NSljKymhZUpgrade naar KadastraleKaart Pro
Jvph oHL2Upgrade naar KadastraleKaart Pro
3LfoJ DqG2DvCdVoUpgrade naar KadastraleKaart Pro
GewlZw y b 5Z0DGOUpgrade naar KadastraleKaart Pro
Ae sWPLg8HjkxWEZN0lvPJUpgrade naar KadastraleKaart Pro
05/11/2001

Percelen
Gebruik de zoekbalk of klik op een perceel om informatie over het perceel te bekijken.