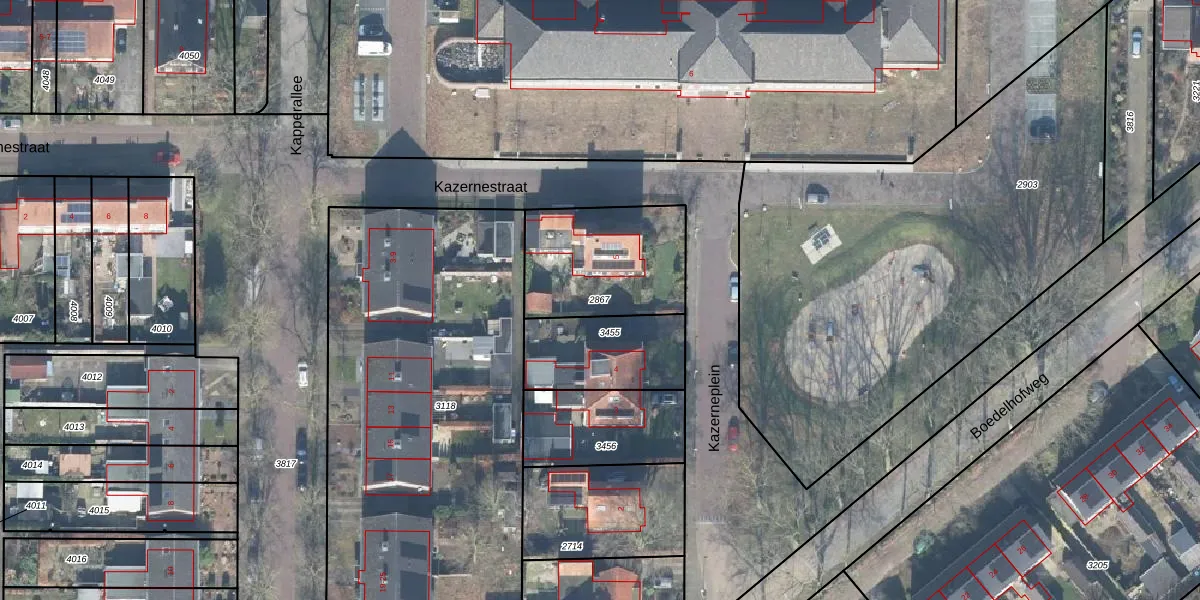
Perceel: GSL01-D-2867
KadastraleKaart.com kan meer dan je denktOntdek meer ›
Filter op bestemming 50+ datasets Eigendomsdata in één klik Percelen CRM
486 m2 - 90 m
Eigenaar opvragen
GSL01-D-2867 (Gorssel)
- 7211 BM
RyY ArbNS02jkF 2voB Fbbfr VUpgrade naar KadastraleKaart Pro
Bekijk op Street View
Download DWG/DXF/Excel
Aa42UumRiIsnUpgrade naar KadastraleKaart Pro
IH9 x24W L0hsUpgrade naar KadastraleKaart Pro
ZCcfHi0EkJobkKUpgrade naar KadastraleKaart Pro
zsQf1ocv nWjRN03HP 5Upgrade naar KadastraleKaart Pro
7rGEviF Ng mdTQQCIPl1Upgrade naar KadastraleKaart Pro
346pu47ivsjQxsJjUpgrade naar KadastraleKaart Pro
mGYi8PSvAUoDkuSYH5 Upgrade naar KadastraleKaart Pro
1XuL A NLWNocwJ 7yRfUpgrade naar KadastraleKaart Pro
HoHDJIygHcOECYYsLqUrbDUpgrade naar KadastraleKaart Pro
J4YnlMD4Upgrade naar KadastraleKaart Pro
28/08/2001

Percelen
Gebruik de zoekbalk of klik op een perceel om informatie over het perceel te bekijken.