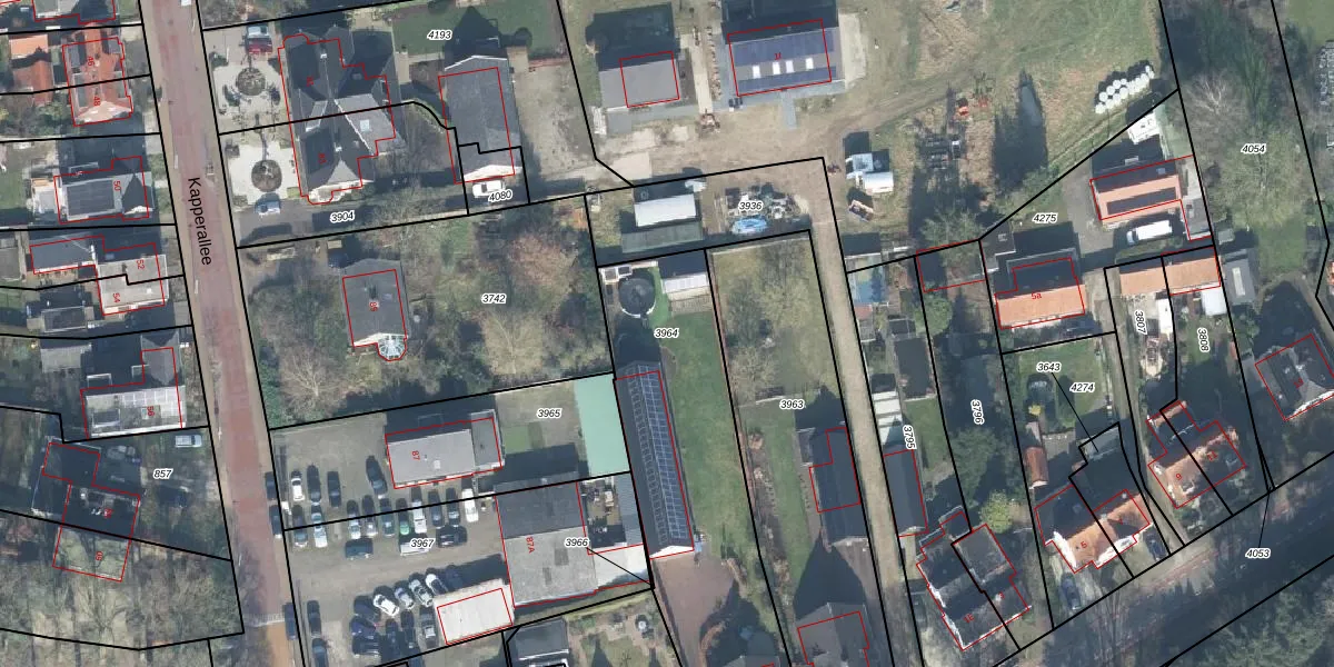
Perceel: GSL01-D-3964
KadastraleKaart.com kan meer dan je denktOntdek meer ›
Filter op bestemming 50+ datasets Eigendomsdata in één klik Percelen CRM
1.346 m2 - 199 m
Eigenaar opvragen
GSL01-D-3964 (Gorssel)
- 7211 MD
B uxRoctrlBuWrnnUpgrade naar KadastraleKaart Pro
Bekijk op Street View
Download DWG/DXF/Excel
jK12UXP8Ex1II3Upgrade naar KadastraleKaart Pro
MRIS a ZghUpgrade naar KadastraleKaart Pro
Z dx3vcp jdSUpgrade naar KadastraleKaart Pro
Q b7eFiSNQt 40gU76O4WUpgrade naar KadastraleKaart Pro
X7KMDtpZRedUl3T5 zldlKUpgrade naar KadastraleKaart Pro
TGy88eX05Upgrade naar KadastraleKaart Pro
fR2SOrz EYHufv sY p92JUpgrade naar KadastraleKaart Pro
A kf9iG1icaLVyHKyIeVKcUpgrade naar KadastraleKaart Pro
tHMWFWciDyX1GEN5Upgrade naar KadastraleKaart Pro
CUJOLSnYH05sRlbxALWUpgrade naar KadastraleKaart Pro
15/06/2005

Percelen
Gebruik de zoekbalk of klik op een perceel om informatie over het perceel te bekijken.