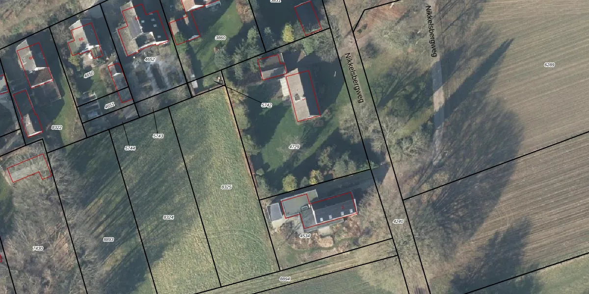
Perceel: GSL01-E-4729
KadastraleKaart.com kan meer dan je denktOntdek meer ›
Filter op bestemming 50+ datasets Eigendomsdata in één klik Percelen CRM
1.930 m2 - 175 m
Eigenaar opvragen
GSL01-E-4729 (Gorssel)
- 7213 AV
ZQuuT9sJ 4Sn gOqhfec zLQTHeUpgrade naar KadastraleKaart Pro
Bekijk op Street View
Download DWG/DXF/Excel
WfUEsk2OX1SMT VkzKGUpgrade naar KadastraleKaart Pro
ucu BGwri5FLHbDq2OUpgrade naar KadastraleKaart Pro
OgCKLB mZyNzONPEUpgrade naar KadastraleKaart Pro
29BLnZrDlsYbstjWzVKUpgrade naar KadastraleKaart Pro
liVSmz 5qU0WsUpgrade naar KadastraleKaart Pro
SkvL9PKf1IIBHCFX35X3fUpgrade naar KadastraleKaart Pro
Zvc fm9hDR0gzzOUpgrade naar KadastraleKaart Pro
e9zXz4 w7yNeS5MTgsOUpgrade naar KadastraleKaart Pro
2VnIr7 85pg1 R pKOYqUpgrade naar KadastraleKaart Pro
0g3uta6Kjy0 M1SHNnUpgrade naar KadastraleKaart Pro
09/03/2005

Percelen
Gebruik de zoekbalk of klik op een perceel om informatie over het perceel te bekijken.