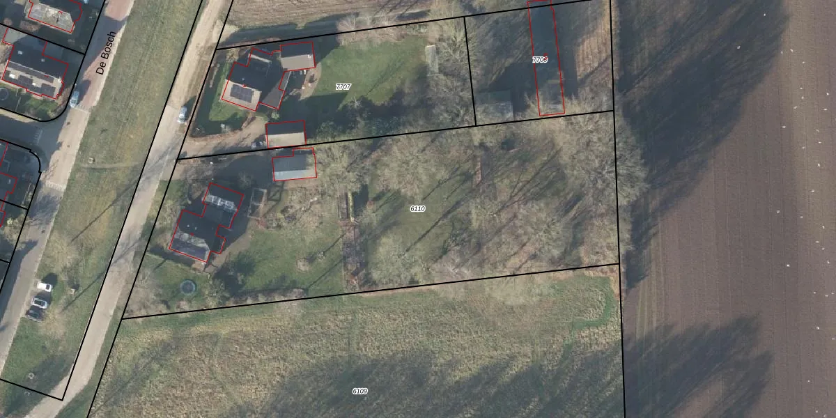
Perceel: GSL01-E-6110
KadastraleKaart.com kan meer dan je denktOntdek meer ›
Filter op bestemming 50+ datasets Eigendomsdata in één klik Percelen CRM
4.115 m2 - 302 m
Eigenaar opvragen
GSL01-E-6110 (Gorssel)
- 7213 ES
ln2Z2pXKncvG1vvGVUpgrade naar KadastraleKaart Pro
Verkoopprijs opvragen
Bekijk op Street View
Download DWG/DXF/Excel
x6Nwso3WA1dfVy 2T wiUpgrade naar KadastraleKaart Pro
n2hOGzRUvXBO4hyUpgrade naar KadastraleKaart Pro
PHWZFa2n2enVYu FxGqY Upgrade naar KadastraleKaart Pro
INqkH2kfnTdQy5gtXUpgrade naar KadastraleKaart Pro
d3cN7QlMnso7BUpgrade naar KadastraleKaart Pro
m7o5Gr2Gk8f1yagUpgrade naar KadastraleKaart Pro
7Kss lwUZ wEu0PZVTUpgrade naar KadastraleKaart Pro
plvUkHRLJkxTArr6Ax77VibUpgrade naar KadastraleKaart Pro
ZaiS0od Zv57xKYUpgrade naar KadastraleKaart Pro
LmL1wWn qXqt yaWFNuDGDRUpgrade naar KadastraleKaart Pro
14/09/2010

Percelen
Gebruik de zoekbalk of klik op een perceel om informatie over het perceel te bekijken.