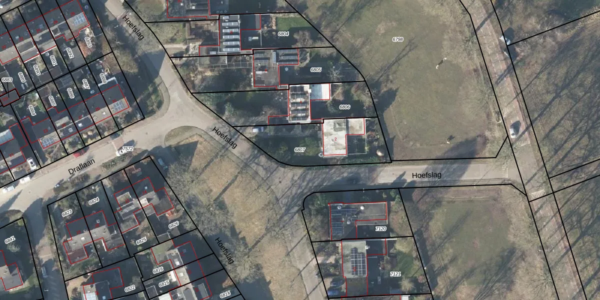
Perceel: GSL01-E-6807
610 m2 - 123 m
Eigenaar opvragen
GSL01-E-6807 (Gorssel)
- 7213 BW
E4WRsIt Clbw4aZo P2Upgrade naar KadastraleKaart Pro
Verkoopprijs opvragen
Bekijk op Street View
Download DWG/DXF/Excel
JX lGKbQUpgrade naar KadastraleKaart Pro
AxKGFn64Upgrade naar KadastraleKaart Pro
26IcfCiJ4Fc hP6smqLUpgrade naar KadastraleKaart Pro
VGuZktqX1cMv62c5Upgrade naar KadastraleKaart Pro
IgfT41UJUpgrade naar KadastraleKaart Pro
rV3XIz ZVaNxlUfRSRRpLPUUpgrade naar KadastraleKaart Pro
vReePmDeUpgrade naar KadastraleKaart Pro
ZF8 mIY a58V 9 3h qtbUpgrade naar KadastraleKaart Pro
l0Kauk3oj0LVUpgrade naar KadastraleKaart Pro
eNsnsd7eryLUpgrade naar KadastraleKaart Pro
30/10/2001

Percelen
Gebruik de zoekbalk of klik op een perceel om informatie over het perceel te bekijken.