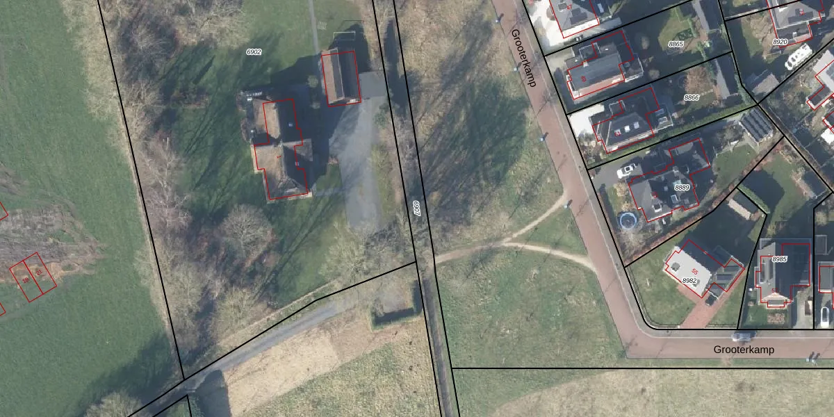
Perceel: GSL01-E-6907
Geen adressen bij dit perceel
2.340 m2 - 978 m
Eigenaar opvragen
GSL01-E-6907 (Gorssel)
- Geen postcode aanwezig
3sI 1t1vEwzg6 r0ORMBE va GUpgrade naar KadastraleKaart Pro
Bekijk op Street View
Download DWG/DXF/Excel
hrB iDFE7blhUpgrade naar KadastraleKaart Pro
NA1k24f g0aUXmdHUpgrade naar KadastraleKaart Pro
emdzKkDZZyrymUpgrade naar KadastraleKaart Pro
mPCScOkZ0q8suyQ4hfh2dUpgrade naar KadastraleKaart Pro
n8 dPo1GecodIWnp 9qxsXUpgrade naar KadastraleKaart Pro
IatdatcSJ0VxgfKskEyUpgrade naar KadastraleKaart Pro
vzAVX X7ipIUpgrade naar KadastraleKaart Pro
iXe5 Z24KSPGQvUpgrade naar KadastraleKaart Pro
Th82I66GASMV4aFUpgrade naar KadastraleKaart Pro
TRwcklYG9fUpgrade naar KadastraleKaart Pro
27/02/2012

Percelen
Gebruik de zoekbalk of klik op een perceel om informatie over het perceel te bekijken.