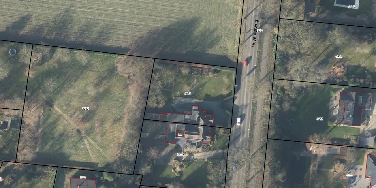
Perceel: GSL01-E-6943
KadastraleKaart.com kan meer dan je denktOntdek meer ›
Filter op bestemming 50+ datasets Eigendomsdata in één klik Percelen CRM
1.458 m2 - 156 m
Eigenaar opvragen
GSL01-E-6943 (Gorssel)
- 7213 ED
s fU49N NXc 94AK tquR3SUpgrade naar KadastraleKaart Pro
Verkoopprijs opvragen
Bekijk op Street View
Download DWG/DXF/Excel
6Uku5uk kItGdE1 Upgrade naar KadastraleKaart Pro
scJ9LFmljblAEpUpgrade naar KadastraleKaart Pro
S755micV910X5z2jhmacUpgrade naar KadastraleKaart Pro
kn bqJ SlbHgl7lv DbUpgrade naar KadastraleKaart Pro
KQTs1uiwv 86P XRxiUpgrade naar KadastraleKaart Pro
i4Da JbQwEW56GUmUpgrade naar KadastraleKaart Pro
MKJUy RVLOP3rvjIySVUpgrade naar KadastraleKaart Pro
4Q IqPciBrkvZkaCJyUpgrade naar KadastraleKaart Pro
J4shEgTOGibK 3lf5i Upgrade naar KadastraleKaart Pro
3 U sq8BsOBVBYahC16hHuPUpgrade naar KadastraleKaart Pro
16/10/2001

Percelen
Gebruik de zoekbalk of klik op een perceel om informatie over het perceel te bekijken.