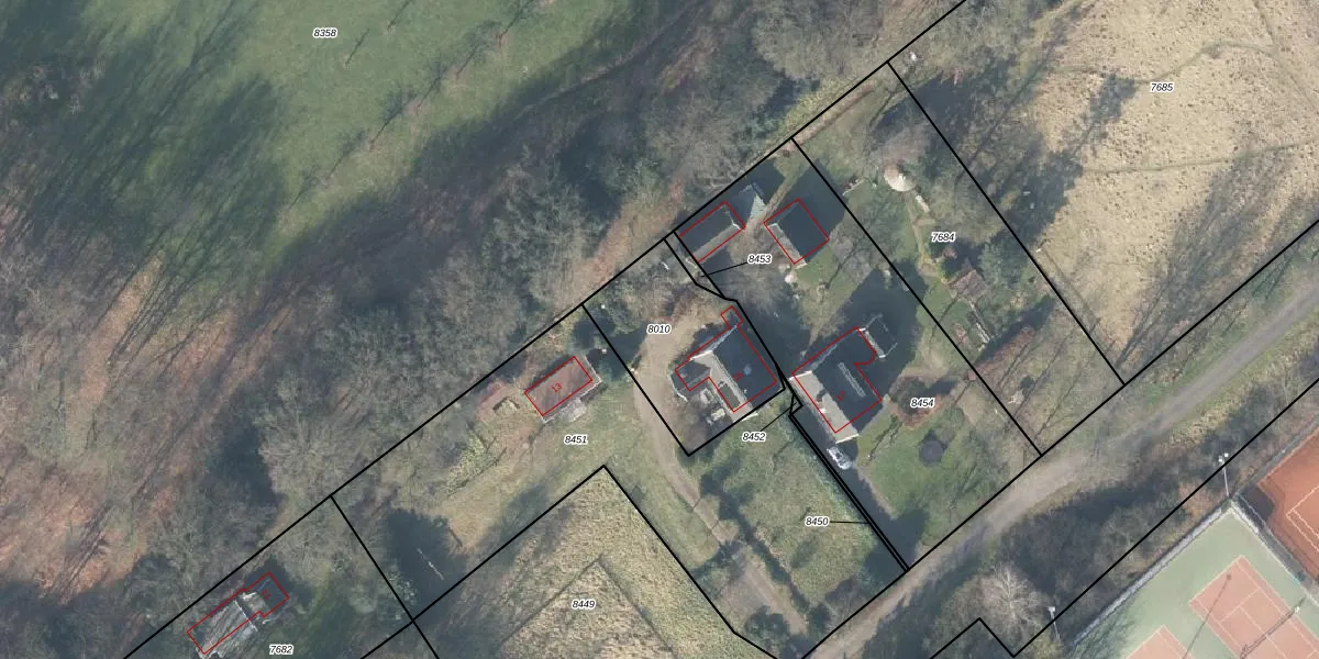
Perceel: GSL01-E-8010
KadastraleKaart.com kan meer dan je denktOntdek meer ›
Filter op bestemming 50+ datasets Eigendomsdata in één klik Percelen CRM
550 m2 - 92 m
Eigenaar opvragen
GSL01-E-8010 (Gorssel)
- 7213 GB
IHkDfgmAkAyiMNoSTT f1Upgrade naar KadastraleKaart Pro
Verkoopprijs opvragen
Bekijk op Street View
Download DWG/DXF/Excel
V4WJBH mpR Upgrade naar KadastraleKaart Pro
lnA6I d5 9LsayvK3zHUpgrade naar KadastraleKaart Pro
OY0b0MzcbLnBP3pl07AUpgrade naar KadastraleKaart Pro
qk9KCEjL5WUpgrade naar KadastraleKaart Pro
dNO9qCFn6VBJUQWttJmf5Upgrade naar KadastraleKaart Pro
UHO NG 1N4Upgrade naar KadastraleKaart Pro
UpJWVxr6Hm8qnK4f 6KX Upgrade naar KadastraleKaart Pro
3DSy i6ER P850 QJmUpgrade naar KadastraleKaart Pro
1wJ 9fWSWpanxiU3g6XI53Upgrade naar KadastraleKaart Pro
qxB6omgFn6Upgrade naar KadastraleKaart Pro
22/01/2007

Percelen
Gebruik de zoekbalk of klik op een perceel om informatie over het perceel te bekijken.