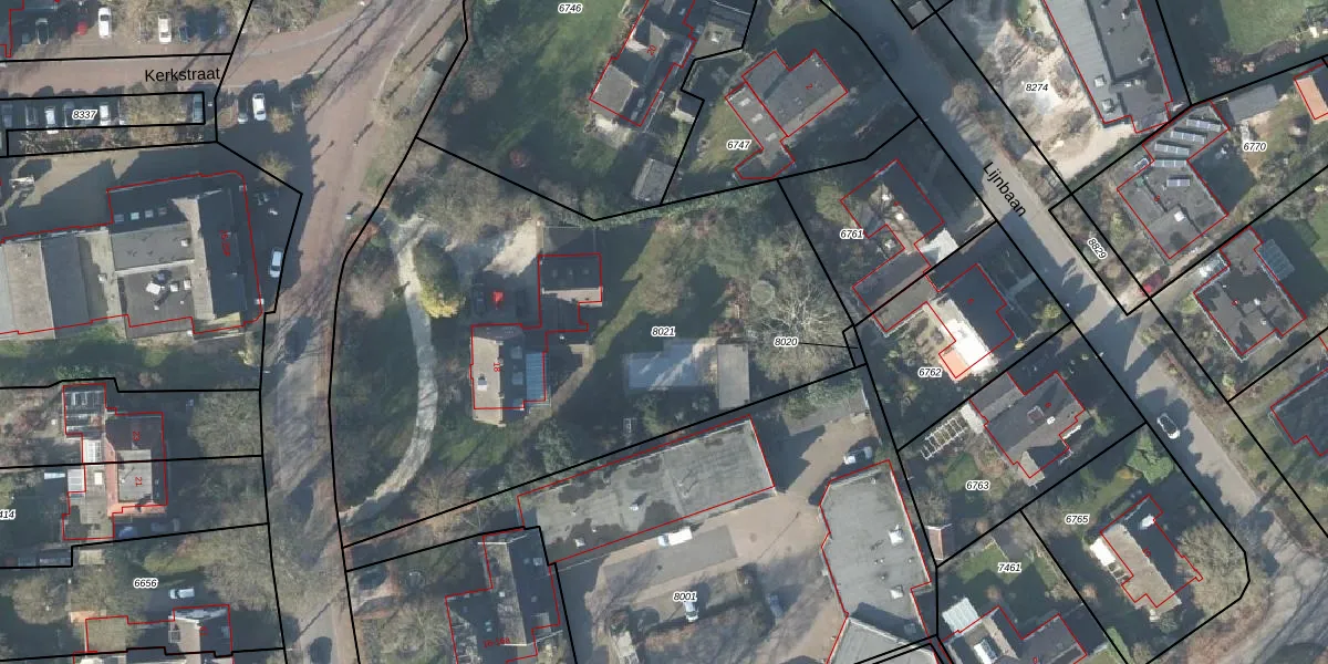
Perceel: GSL01-E-8021
KadastraleKaart.com kan meer dan je denktOntdek meer ›
Filter op bestemming 50+ datasets Eigendomsdata in één klik Percelen CRM
3.020 m2 - 237 m
Eigenaar opvragen
GSL01-E-8021 (Gorssel)
- 7213 CV
XgSps17aqSvMobVBzdD0 b W1SUpgrade naar KadastraleKaart Pro
Verkoopprijs opvragen
Bekijk op Street View
Download DWG/DXF/Excel
LzQekJJ22XGC3 ch7ygTUpgrade naar KadastraleKaart Pro
Y J8 rzYvheUpgrade naar KadastraleKaart Pro
w7Jmqzf dFnNUTpUpgrade naar KadastraleKaart Pro
LBg Ff0Q5uJUpgrade naar KadastraleKaart Pro
mS9UP pTHxgrRFAHUpgrade naar KadastraleKaart Pro
wwfB9uI LOJeK7FPUpgrade naar KadastraleKaart Pro
hyUB99uT 1L3ofMoUpgrade naar KadastraleKaart Pro
BZ0wN0GmprsyQGUpgrade naar KadastraleKaart Pro
DQtgM4ZJqsV DvQdSgUpgrade naar KadastraleKaart Pro
mQya0dT zLxAU1Upgrade naar KadastraleKaart Pro
30/10/2001

Percelen
Gebruik de zoekbalk of klik op een perceel om informatie over het perceel te bekijken.