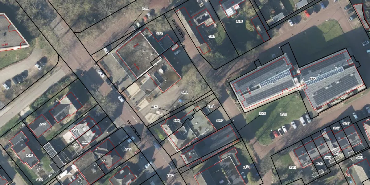
Perceel: GSL01-E-8474
1.120 m2 - 142 m
Eigenaar opvragen
GSL01-E-8474 (Gorssel)
- 7213 CX
cqV AHIYVuUjpDX Nu3wZUpgrade naar KadastraleKaart Pro
Bekijk op Street View
Download DWG/DXF/Excel
a81EIxg16YjH6TUpgrade naar KadastraleKaart Pro
sAgEEWKm 5TuwMZwseUpgrade naar KadastraleKaart Pro
Qz9 6ut6aQm71c0rvCO3rsPUpgrade naar KadastraleKaart Pro
T7Ad UN33ECbd uObIUK 3Upgrade naar KadastraleKaart Pro
Gzg VobS5Upgrade naar KadastraleKaart Pro
m2Nqh7 uUpgrade naar KadastraleKaart Pro
ZP XuuPzllTm A7L1Upgrade naar KadastraleKaart Pro
Kvez BILNUpgrade naar KadastraleKaart Pro
jO8LrVU JkKAnU1VY NUpgrade naar KadastraleKaart Pro
attUxDZFWhl Y61auhQUpgrade naar KadastraleKaart Pro
23/10/2007

Percelen
Gebruik de zoekbalk of klik op een perceel om informatie over het perceel te bekijken.