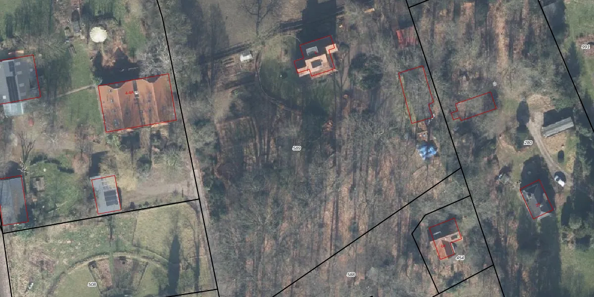
Perceel: GSL01-G-589
KadastraleKaart.com kan meer dan je denktOntdek meer ›
Filter op bestemming 50+ datasets Eigendomsdata in één klik Percelen CRM
11.078 m2 - 573 m
Eigenaar opvragen
GSL01-G-589 (Gorssel)
- 7211 MB
eji UfOv7oBrGiMv4Cd89TI8uAXUpgrade naar KadastraleKaart Pro
Bekijk op Street View
Download DWG/DXF/Excel
2 Cg9R7eE2tAsqAIUpgrade naar KadastraleKaart Pro
aCLIYc45xHG3ZUpgrade naar KadastraleKaart Pro
1Rn4DtcFCYUpgrade naar KadastraleKaart Pro
rzohDb5ps7MRUpgrade naar KadastraleKaart Pro
s ZKIneDNpCaqOUpgrade naar KadastraleKaart Pro
TLirxh 3 tVo 7SUpgrade naar KadastraleKaart Pro
bArLXcotykdnPbUpgrade naar KadastraleKaart Pro
iqAu8uefo9Upgrade naar KadastraleKaart Pro
kWTfPifaqSnUpgrade naar KadastraleKaart Pro
8Nz6mZMUO3OMohpiSrUpgrade naar KadastraleKaart Pro
26/05/2004

Percelen
Gebruik de zoekbalk of klik op een perceel om informatie over het perceel te bekijken.