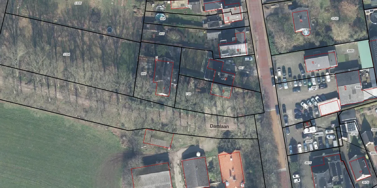
Perceel: GSL01-G-718
KadastraleKaart.com kan meer dan je denktOntdek meer ›
Filter op bestemming 50+ datasets Eigendomsdata in één klik Percelen CRM
753 m2 - 122 m
Eigenaar opvragen
GSL01-G-718 (Gorssel)
- 7211 CG
H2rTWJc lBIMD0 7Q76WVMUpgrade naar KadastraleKaart Pro
Verkoopprijs opvragen
Bekijk op Street View
Download DWG/DXF/Excel
BuQQr 3ys4VY8P kequQUUpgrade naar KadastraleKaart Pro
dRF6f0 ZRwiAWtujQuDZ Upgrade naar KadastraleKaart Pro
AX0wrlkGLlrkDy6lUpgrade naar KadastraleKaart Pro
4U1 G8sURle OWzUpgrade naar KadastraleKaart Pro
Y jFkPLETOCX2FbhHUpgrade naar KadastraleKaart Pro
IQYk9hhNjTnJ3aJ6VrTUpgrade naar KadastraleKaart Pro
zrpEld6tnUpgrade naar KadastraleKaart Pro
Q5lwXCDIyBfouvJQZIvikIUpgrade naar KadastraleKaart Pro
j9GJ1vUiFDj3vJMXqPpq5Upgrade naar KadastraleKaart Pro
90cZpQC AGUpgrade naar KadastraleKaart Pro
15/04/2009

Percelen
Gebruik de zoekbalk of klik op een perceel om informatie over het perceel te bekijken.