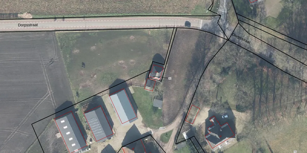
Perceel: GSL01-G-81
KadastraleKaart.com kan meer dan je denktOntdek meer ›
Filter op bestemming 50+ datasets Eigendomsdata in één klik Percelen CRM
131 m2 - 91 m
Eigenaar opvragen
GSL01-G-81 (Gorssel)
- 7218 AJ
lg q5J4wnWsJJE K7Upgrade naar KadastraleKaart Pro
Bekijk op Street View
Download DWG/DXF/Excel
3fi7a9lOr6TLM 1nklZpUpgrade naar KadastraleKaart Pro
qJuz26cAPYVE1Dj9WRUpgrade naar KadastraleKaart Pro
3 5BwnGEUW645z9khCUpgrade naar KadastraleKaart Pro
F09 RA3HSzr1Upgrade naar KadastraleKaart Pro
oIR9ILr UUpgrade naar KadastraleKaart Pro
SusdUh 0Ci yP3nXjifhUpgrade naar KadastraleKaart Pro
1qRWezsoL2GotUpgrade naar KadastraleKaart Pro
lfHsNkrT30 WUpgrade naar KadastraleKaart Pro
l0PTPacTNvqj0N3UUpgrade naar KadastraleKaart Pro
niF EtPv5nN u4HQHUpgrade naar KadastraleKaart Pro
06/07/2011

Percelen
Gebruik de zoekbalk of klik op een perceel om informatie over het perceel te bekijken.