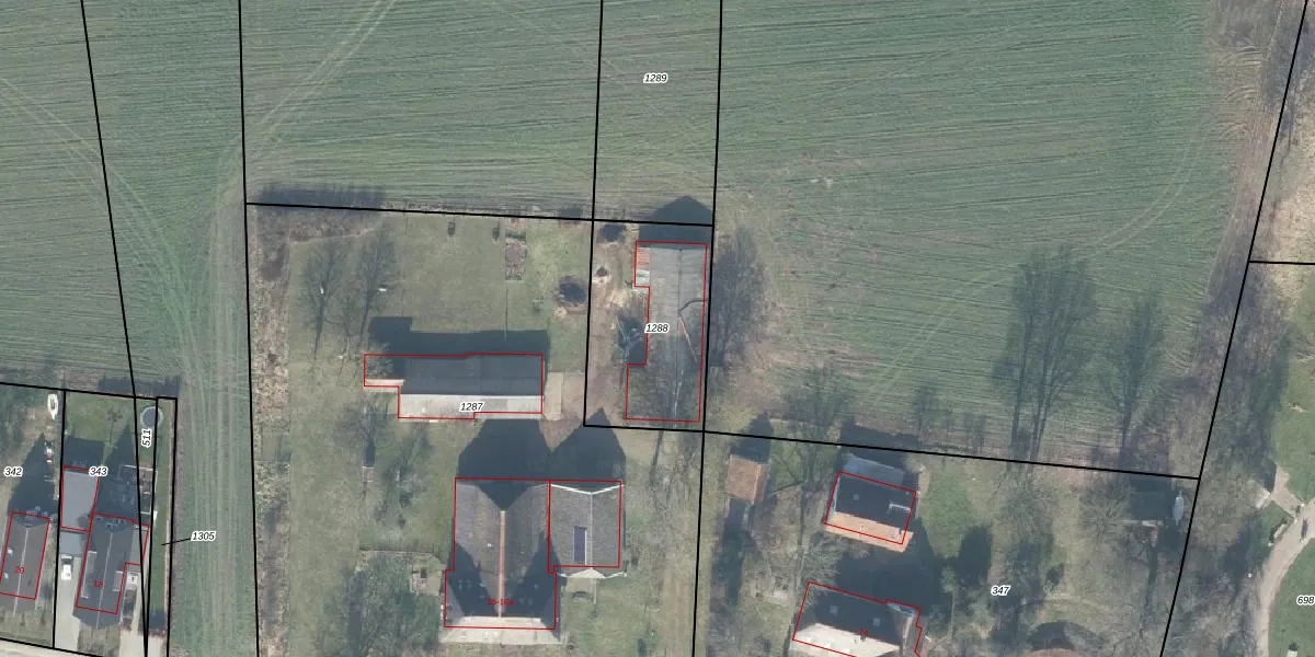
Perceel: GSL01-L-1288
KadastraleKaart.com kan meer dan je denktOntdek meer ›
Filter op bestemming 50+ datasets Eigendomsdata in één klik Percelen CRM
Geen adressen bij dit perceel
560 m2 - 99 m
Eigenaar opvragen
GSL01-L-1288 (Gorssel)
- Geen postcode aanwezig
yTu f1q h10Pe9ucc u3hHOxBZ WPlUpgrade naar KadastraleKaart Pro
Bekijk op Street View
Download DWG/DXF/Excel
XtVfOs f2Wxi3kH1qT5Upgrade naar KadastraleKaart Pro
RcTN4p3HvOKs9LU5Upgrade naar KadastraleKaart Pro
Ho PII4HhrFTRBHsUpgrade naar KadastraleKaart Pro
cycXnesJ4XuzLKAX9c0tWuUpgrade naar KadastraleKaart Pro
6HOPdKZopMpebWWkRhjy8UUpgrade naar KadastraleKaart Pro
k71hn 64cmGJSSoMZCoIxqUpgrade naar KadastraleKaart Pro
kc G5GEsL8T q9 A6US4Upgrade naar KadastraleKaart Pro
4DcYd7vP9 pbpfvVueOUpgrade naar KadastraleKaart Pro
c3eTuBjWjH3gUpgrade naar KadastraleKaart Pro
ELtdSKsYIUpgrade naar KadastraleKaart Pro
27/07/2016

Percelen
Gebruik de zoekbalk of klik op een perceel om informatie over het perceel te bekijken.