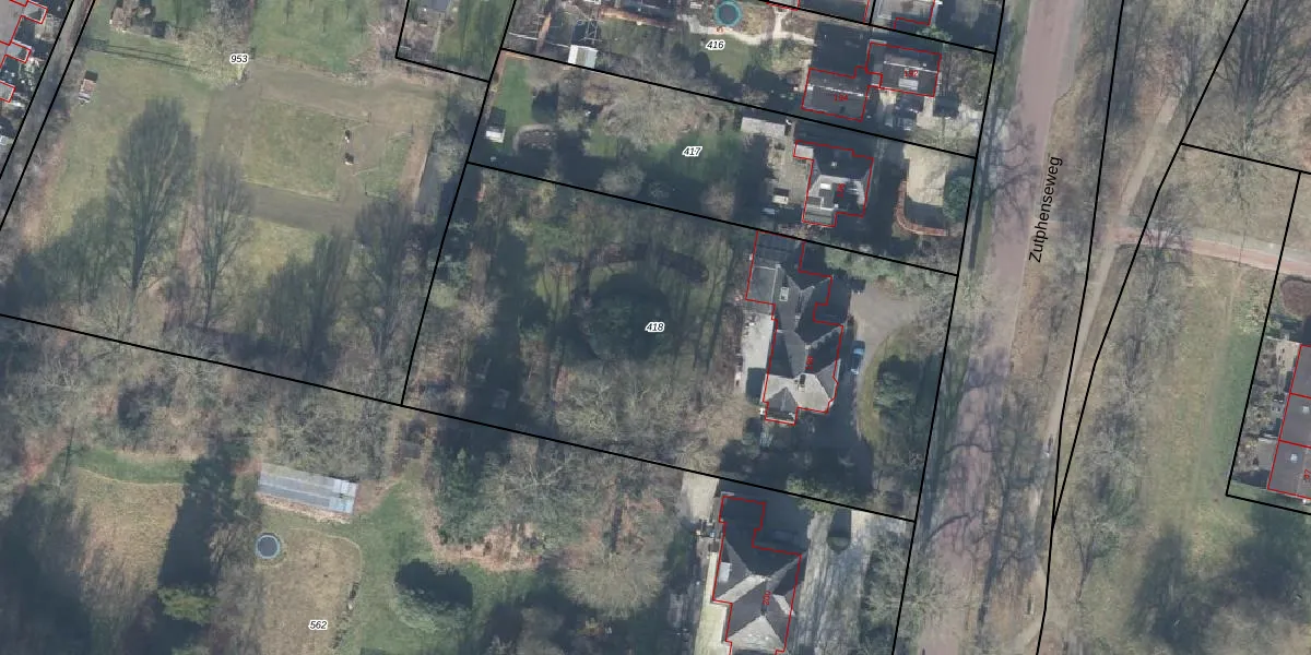
Perceel: GSL01-L-418
KadastraleKaart.com kan meer dan je denktOntdek meer ›
Filter op bestemming 50+ datasets Eigendomsdata in één klik Percelen CRM
2.986 m2 - 234 m
Eigenaar opvragen
GSL01-L-418 (Gorssel)
- 7211 EK
O6X1AD e19drJXC QUpgrade naar KadastraleKaart Pro
Verkoopprijs opvragen
Bekijk op Street View
Download DWG/DXF/Excel
uzAyK59Nx3Upgrade naar KadastraleKaart Pro
fjmhipw50DMk0VVHWG 0 aCUpgrade naar KadastraleKaart Pro
9HGj w zD8Upgrade naar KadastraleKaart Pro
cRD7 y w Upgrade naar KadastraleKaart Pro
GhWCqNgGQkOIUrUUpgrade naar KadastraleKaart Pro
oi Fx6JZiuytdOaQnwEpRIUpgrade naar KadastraleKaart Pro
clTW1HQjHUOUpgrade naar KadastraleKaart Pro
xlicSBoQNZ64Upgrade naar KadastraleKaart Pro
Rbg94fzOUpgrade naar KadastraleKaart Pro
nCLoDFmq6Z A3Upgrade naar KadastraleKaart Pro
05/10/2004

Percelen
Gebruik de zoekbalk of klik op een perceel om informatie over het perceel te bekijken.