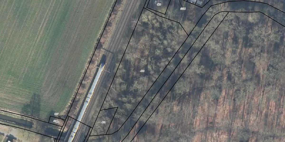
Perceel: GSL01-L-430
KadastraleKaart.com kan meer dan je denktOntdek meer ›
Filter op bestemming 50+ datasets Eigendomsdata in één klik Percelen CRM
Geen adressen bij dit perceel
2.260 m2 - 243 m
Eigenaar opvragen
GSL01-L-430 (Gorssel)
- Geen postcode aanwezig
0zw bk6 utS3N ySUpgrade naar KadastraleKaart Pro
Bekijk op Street View
Download DWG/DXF/Excel
r0 Jc4Vyo1scpaUpgrade naar KadastraleKaart Pro
lLt2bcYQzUpgrade naar KadastraleKaart Pro
zJFYO7qwUpgrade naar KadastraleKaart Pro
b8F B7lk3oOUpgrade naar KadastraleKaart Pro
bGKChjTN4XN5JF IhkxZUpgrade naar KadastraleKaart Pro
vfuCSohLoUpgrade naar KadastraleKaart Pro
Y2sQhf6EMAqRoXnN7at0Upgrade naar KadastraleKaart Pro
s jrlZIBr0MCIovLBG7Oe5PUpgrade naar KadastraleKaart Pro
N 5ADKGE DKni2 i4Upgrade naar KadastraleKaart Pro
z9o3 8A6zhUpgrade naar KadastraleKaart Pro
29/09/2008

Percelen
Gebruik de zoekbalk of klik op een perceel om informatie over het perceel te bekijken.