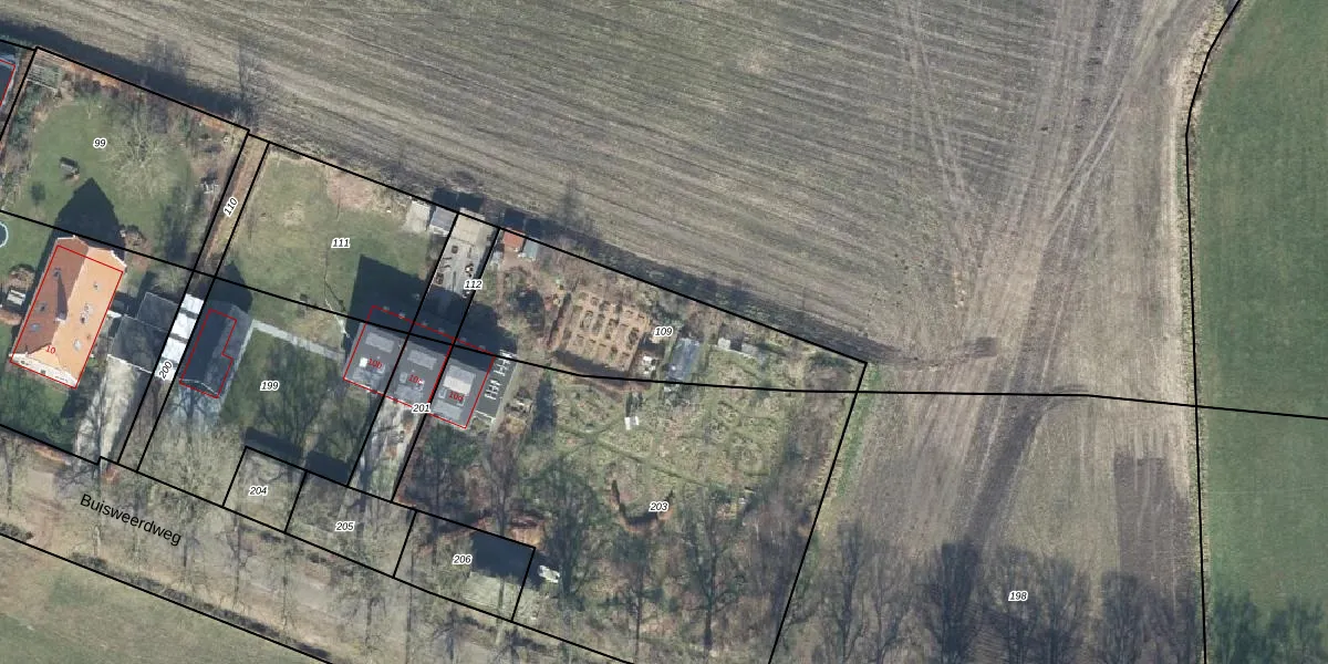
Perceel: GSL01-N-109
KadastraleKaart.com kan meer dan je denktOntdek meer ›
Filter op bestemming 50+ datasets Eigendomsdata in één klik Percelen CRM
Geen adressen bij dit perceel
779 m2 - 144 m
Eigenaar opvragen
GSL01-N-109 (Gorssel)
- Geen postcode aanwezig
RaD2QOvi4nbTTtV9reI3aEui7lUpgrade naar KadastraleKaart Pro
Bekijk op Street View
Download DWG/DXF/Excel
fNAQCClpUpgrade naar KadastraleKaart Pro
dI 3abz87KPJUpgrade naar KadastraleKaart Pro
YRlQMWoqKPdXjw9HZUpgrade naar KadastraleKaart Pro
i UMRmzF7dvR hefTLsUpgrade naar KadastraleKaart Pro
llIjgO uf0ZxCSlm9tXK58OUpgrade naar KadastraleKaart Pro
ZYJ 2xIk6Upgrade naar KadastraleKaart Pro
Cq3U539hfDUpgrade naar KadastraleKaart Pro
vk38QDVsUpgrade naar KadastraleKaart Pro
XK m2SOu3y6mwCXnmUpgrade naar KadastraleKaart Pro
11L3kfhPMOGE kUpgrade naar KadastraleKaart Pro
01/04/2019

Percelen
Gebruik de zoekbalk of klik op een perceel om informatie over het perceel te bekijken.