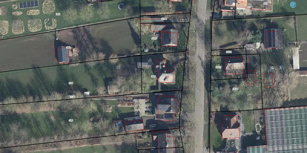
Perceel: GSN00-D-304
KadastraleKaart.com kan meer dan je denktOntdek meer ›
Filter op bestemming 50+ datasets Eigendomsdata in één klik Percelen CRM
710 m2 - 106 m
Eigenaar opvragen
GSN00-D-304 (Groessen en Loo)
- 6924 AM
hMTKKuGVK8Bsh E7sEx54GOHa6qUpgrade naar KadastraleKaart Pro
Bekijk op Street View
Download DWG/DXF/Excel
jFvs41XJRNK4JQQR dmkXQUpgrade naar KadastraleKaart Pro
NgP lN3RYrPQYtQUpgrade naar KadastraleKaart Pro
iI9UzQsJQwqUpgrade naar KadastraleKaart Pro
4eyzqkMVZ6ZUyTUpgrade naar KadastraleKaart Pro
cE3oAc gwa vgifyUpgrade naar KadastraleKaart Pro
ivD91GwuMLqFNxMUpgrade naar KadastraleKaart Pro
lRy k50wJFrn3mwUpgrade naar KadastraleKaart Pro
ZKb QCGDUpgrade naar KadastraleKaart Pro
xk 9U3PFNuUpgrade naar KadastraleKaart Pro
LuW3VxtlQ R5K q0EhwV3W2Upgrade naar KadastraleKaart Pro
14/09/2005

Percelen
Gebruik de zoekbalk of klik op een perceel om informatie over het perceel te bekijken.