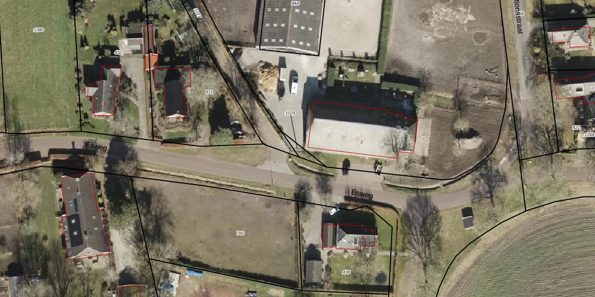
Perceel: GST00-I-1029
KadastraleKaart.com kan meer dan je denktOntdek meer ›
Filter op bestemming 50+ datasets Eigendomsdata in één klik Percelen CRM
Geen adressen bij dit perceel
30 m2 - 40 m
Eigenaar opvragen
GST00-I-1029 (Gasselte)
- Geen postcode aanwezig
VEh5gXBNvgRT0tluJ2jhu RwXsS Upgrade naar KadastraleKaart Pro
Bekijk op Street View
Download DWG/DXF/Excel
Sr7XC dTC1nLDzUpgrade naar KadastraleKaart Pro
eQskPY9q1 Upgrade naar KadastraleKaart Pro
y4UxwhRVbcUpgrade naar KadastraleKaart Pro
GeVzrcr7oUpgrade naar KadastraleKaart Pro
Fj2kB2a oNiFCZNGSTUpgrade naar KadastraleKaart Pro
7dlbyIsqp3TXXItI4B6TUpgrade naar KadastraleKaart Pro
js9rEHjCx LVamHBMUpgrade naar KadastraleKaart Pro
JvnlsfY0Z93Upgrade naar KadastraleKaart Pro
kaHqsrlX 3N7 dM GVX3mNUpgrade naar KadastraleKaart Pro
D4i7h1XY3R3x9cRC4Upgrade naar KadastraleKaart Pro
28/06/2011

Percelen
Gebruik de zoekbalk of klik op een perceel om informatie over het perceel te bekijken.