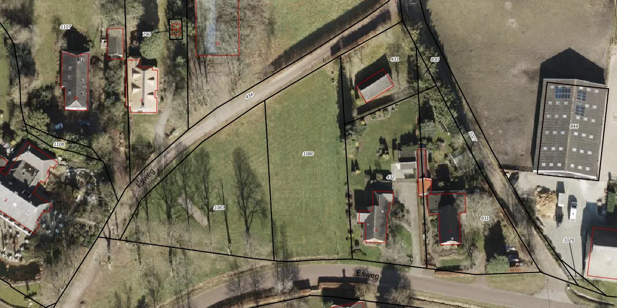
Perceel: GST00-I-1080
KadastraleKaart.com kan meer dan je denktOntdek meer ›
Filter op bestemming 50+ datasets Eigendomsdata in één klik Percelen CRM
Geen adressen bij dit perceel
1.475 m2 - 172 m
Eigenaar opvragen
GST00-I-1080 (Gasselte)
- Geen postcode aanwezig
XHuEnMIIyfKukYWfSzYFKtZFVERyUpgrade naar KadastraleKaart Pro
Bekijk op Street View
Download DWG/DXF/Excel
udka4H7tud1izR5Upgrade naar KadastraleKaart Pro
nWsJmmmuSXWHg8VXuUpgrade naar KadastraleKaart Pro
4LybuVokIdUOdted3kVgP0Upgrade naar KadastraleKaart Pro
bXJ3L zj Fj7Upgrade naar KadastraleKaart Pro
83y07eeGNgdpK My0ifUpgrade naar KadastraleKaart Pro
O48 llk7 Upgrade naar KadastraleKaart Pro
vnDL uVv6JLpV1Upgrade naar KadastraleKaart Pro
e0OMcpQpUpgrade naar KadastraleKaart Pro
IeBBRWF A6TFyAe841W8egMUpgrade naar KadastraleKaart Pro
9Is08LYvmEUpgrade naar KadastraleKaart Pro
01/03/2018

Percelen
Gebruik de zoekbalk of klik op een perceel om informatie over het perceel te bekijken.